




0 Oak Creek Rd Phase 2, El Cajon, CA 92021
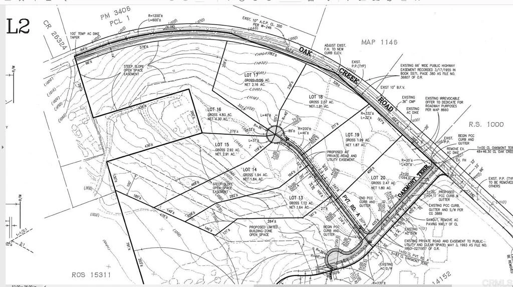
Phase 2 mapped for 11 lots on approx 44 acres which consist of 9 approx one acre lots off olde highway 80 and two large estate home lots off flynn springs rd. There is also extreme value in taking advantage of the mixed zoning available and maximizing a much higher density since the 9 lots will be annexed to public sewer. Commercial/Residential/M54/M52/ C37/ C38/ RSV a huge different uses would make this extremely profitable and/or submit + what already got mapped.
Bathrooms
0
Lot Size
4,486,680 sqft
Days on Market
0
HOA Fee
N/A
MLS #
PTP2602026
Lot Features
Lot Over40000 Sqft
Mountainous
$0
| Rating | School Name |
|---|---|
9 | GreatSchools High (Demo) public School • ratio 22:1 |
7 | Valley View Elementary (Demo) public School • ratio 18:1 |
6 | Lincoln Middle School (Demo) public School • ratio 20:1 |
NR | St. Mary Example Academy (Demo) private School • ratio 12:1 |
Balanced market
Avg. time on market
This is a Balanced Market. Homes are selling at a moderate pace.
Based on price, location, and features
Topfind Realty, DRE # 02240815, is a licensed real estate broker in California. Topfind Realty pledges to support the Fair Housing Act and adhere to Equal Housing Opportunity laws.
Copyright © 2026 Topfind Realty. All Rights Reserved.