




0 Carroll Avenue, Felton, CA 95018
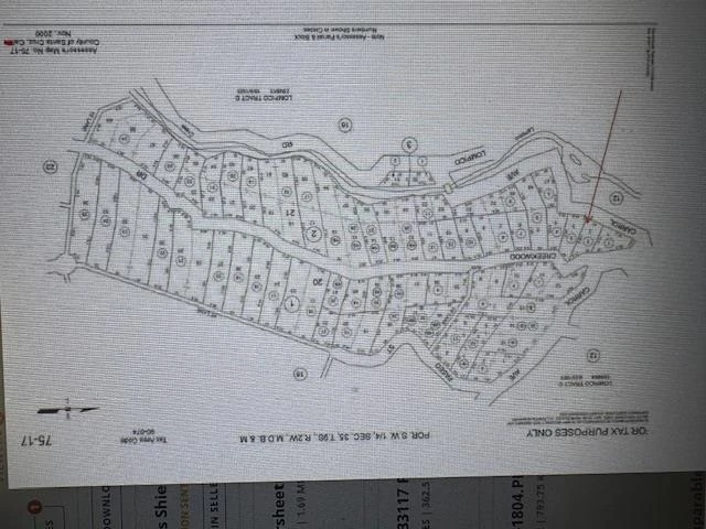
0 Carroll Avenue, Felton, California** Discover a remarkable 0 Carroll Avenue, a stunning 4,199 approx. square-foot lot nestled in the beautiful residential area of Felton, California. This exceptional piece of raw land offers the perfect canvas the serene beauty of nature. With clean air and breathtaking scenery, this location provides an ideal backdrop for anyone seeking tranquility and a connection to the outdoors. The property boasts an abundance of privacy and open space, allowing you to enjoy the peaceful ambiance that Felton is known for. Embrace the beauty of this unique location at 0 Carroll Avenue. Please check with county government and or building departments for development possibility.
Bathrooms
0
Lot Size
4,199 sqft
Days on Market
1107
HOA Fee
N/A
MLS #
ML81998161
Sewer
Other
Water Source
Other
$0
| Rating | School Name | ||
|---|---|---|---|
| No school data available for this area. | |||
Balanced market
Avg. time on market
This is a Balanced Market. Homes are selling at a moderate pace.
Flood Risk
Minimal — not in a FEMA flood zone
Wildfire Risk
Moderate — near wildland-urban interface
Heat Risk
Low — moderate summer temperatures
Earthquake Risk
Southern California seismic zone
Based on price, location, and features
Topfind Realty, DRE # 02240815, is a licensed real estate broker in California. Topfind Realty pledges to support the Fair Housing Act and adhere to Equal Housing Opportunity laws.
Copyright © 2026 Topfind Realty. All Rights Reserved.