




Buena Vista Avenue, Gilroy, CA 95020
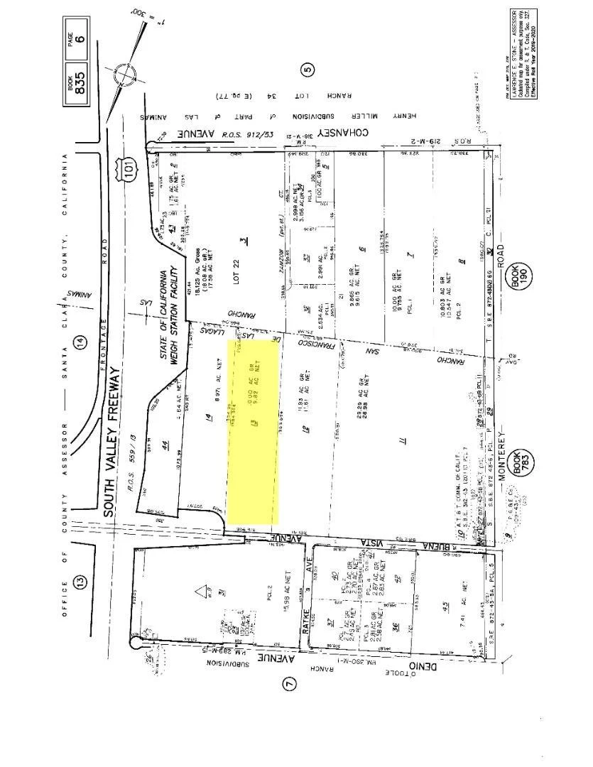
9.82-acre level agricultural parcel in North Gilroy (APN: 835-06-013). Currently in row crop production and zoned A-20A. Located between Highway 101 and Monterey Highway, the site is positioned in an evolving corridor near established industrial and residential developments. Infrastructure includes an on-site well, Valley Water District service, PG&E at the street, and an existing agricultural storage structure. Highly accessible location near local railway, transit hubs, and the High-Speed Rail project currently under construction. This property offers immediate agricultural utility within a major regional infrastructure growth path.
Bathrooms
0
Lot Size
427,759 sqft
Property Type
Agriculture
Days on Market
0
HOA Fee
N/A
MLS #
ML82032640
Lot Features
Agricultural
Water Source
Well
$0
| Rating | School Name | ||
|---|---|---|---|
| No school data available for this area. | |||
Balanced market
Avg. time on market
This is a Balanced Market. Homes are selling at a moderate pace.
Based on price, location, and features
Topfind Realty, DRE # 02240815, is a licensed real estate broker in California. Topfind Realty pledges to support the Fair Housing Act and adhere to Equal Housing Opportunity laws.
Copyright © 2026 Topfind Realty. All Rights Reserved.