




2 California, Hemet, CA 92545
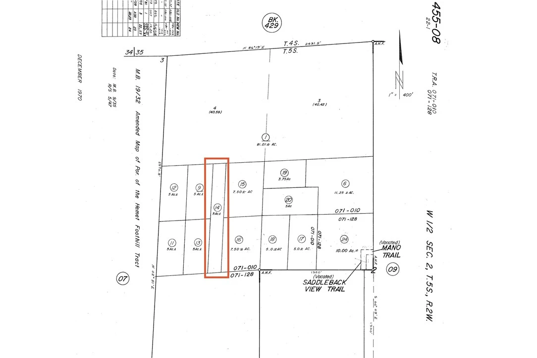
Build a beautiful home and ranch/farm on 5 acre property near the Maze Stone park. Ride and play among the boulders in the hills and enjoy the outstanding views of the Maze Stone ranches, valley and hills, all the way to Diamond Valley Lake and Mount San Jacinto. California Avenue access is along the paved road to the Cul De Sac at the north end of California Avenue leading to the lot allowing quiet solitude.Respect the neighbor's private property, be very careful if you venture into the lot, and watch for snakes and wildlife. Lot 14 on assessor map.
Lot Size
217,800 sqft
Days on Market
86
HOA Fee
N/A
MLS #
SW25272485
Lot Features
Zero To One Unit Acre
Mountainous
$0
| Rating | School Name | ||
|---|---|---|---|
| No school data available for this area. | |||
Balanced market
Avg. time on market
This is a Balanced Market. Homes are selling at a moderate pace.
Flood Risk
Minimal — not in a FEMA flood zone
Wildfire Risk
Moderate — near wildland-urban interface
Heat Risk
Low — moderate summer temperatures
Earthquake Risk
Southern California seismic zone
Based on price, location, and features
Topfind Realty, DRE # 02240815, is a licensed real estate broker in California. Topfind Realty pledges to support the Fair Housing Act and adhere to Equal Housing Opportunity laws.
Copyright © 2026 Topfind Realty. All Rights Reserved.