




0 Darwin, Hesperia, CA 92345
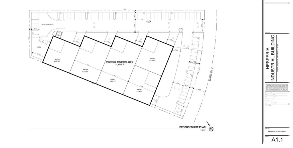
Prime Industrial Development Opportunity in Hesperia, CA Introducing a 1.83-acre I-2 zoned industrial parcel in the thriving city of Hesperia, California. This site comes fully entitled for a 31,914 square foot industrial building, as detailed in the attached site plan. Strategically located along Darwin Avenue, the property offers excellent access to major transportation corridors, including Interstate 15 and U.S. Highway 395, facilitating efficient logistics and distribution operations. This property presents an exceptional opportunity for developers and investors seeking to capitalize on Hesperia's expanding industrial market. The combination of existing entitlements, strategic location, and supportive business climate positions this site as a prime candidate for industrial development.
Lot Size
79,714.8 sqft
Days on Market
160
HOA Fee
N/A
MLS #
HD25264451
Lot Features
Lot Over40000 Sqft, Level, Rectangular Lot, Street Level
Water Source
Public
Dog Park, Fishing, Golf
$0
| Rating | School Name | ||
|---|---|---|---|
| No school data available for this area. | |||
Balanced market
Avg. time on market
This is a Balanced Market. Homes are selling at a moderate pace.
Flood Risk
Minimal — not in a FEMA flood zone
Wildfire Risk
Moderate — near wildland-urban interface
Heat Risk
Low — moderate summer temperatures
Earthquake Risk
Southern California seismic zone
Based on price, location, and features
Topfind Realty, DRE # 02240815, is a licensed real estate broker in California. Topfind Realty pledges to support the Fair Housing Act and adhere to Equal Housing Opportunity laws.
Copyright © 2026 Topfind Realty. All Rights Reserved.