

0 Live Oak, Hesperia, CA 92345
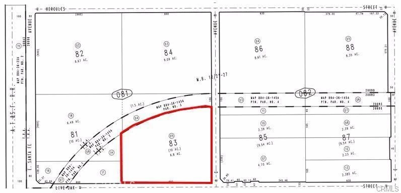
Heavy Industrial zoned land,located at the northwest corner of C ave. and Live Oak St.Water and electricity are at the property. Potential rail access as the land is adjacent to BNSF feeder-line. Flat land with many heavy industrial uses surrounding the land. Very unique property. Access Type: Public Access # of RV Spaces: 0 Zoning Description: Industrial Lot Location Type: Standard Location Development Status: Raw Land Easements: See Map of Record Miscellaneous: Other Utility Adjc to Site: Gas,Electric,Water # of Attached Spaces: 0 # of Detached Spaces: 0 # of RV Spaces: 0
Lot Size
296,208 sqft
Days on Market
78
HOA Fee
N/A
MLS #
HD26009816
Lot Features
Six To Ten Units Acre
Rural, Suburban
$0
| Rating | School Name | ||
|---|---|---|---|
| No school data available for this area. | |||
Balanced market
Avg. time on market
This is a Balanced Market. Homes are selling at a moderate pace.
Flood Risk
Minimal — not in a FEMA flood zone
Wildfire Risk
Moderate — near wildland-urban interface
Heat Risk
Low — moderate summer temperatures
Earthquake Risk
Southern California seismic zone
Based on price, location, and features
Topfind Realty, DRE # 02240815, is a licensed real estate broker in California. Topfind Realty pledges to support the Fair Housing Act and adhere to Equal Housing Opportunity laws.
Copyright © 2026 Topfind Realty. All Rights Reserved.