


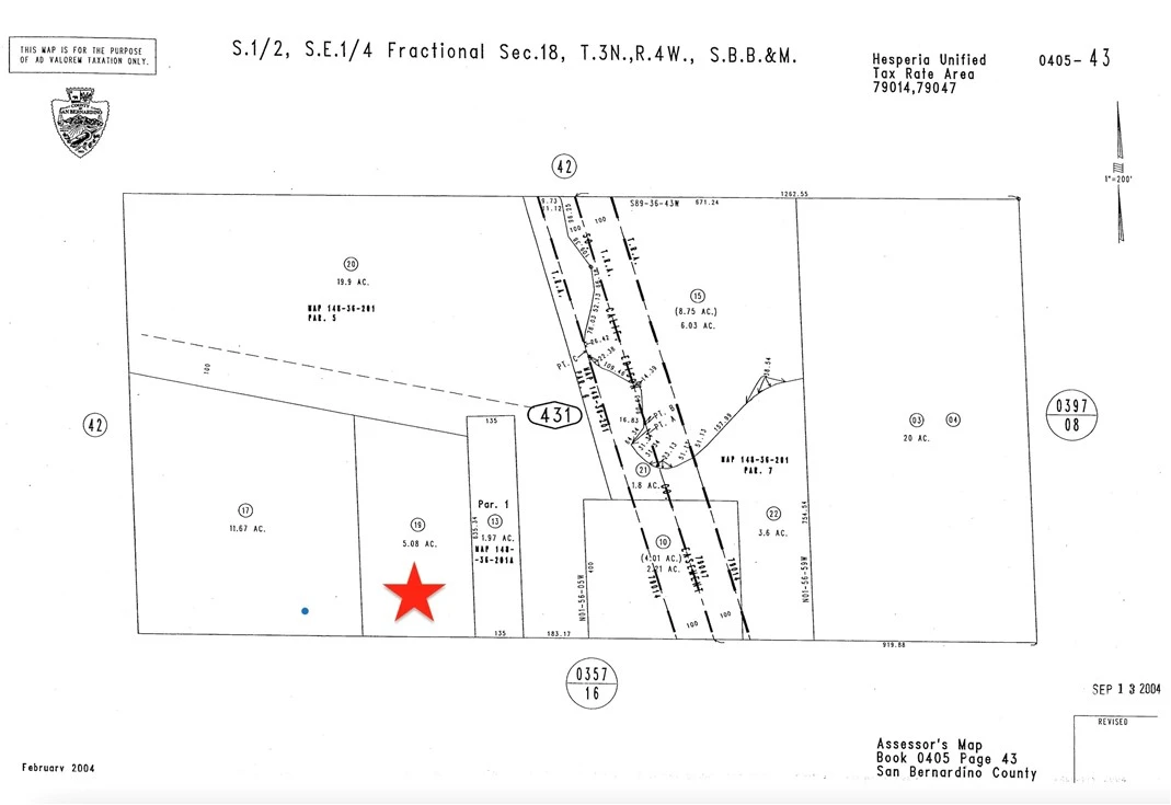
750 Summit Valley (NEAR) Road, Hesperia, CA 92345
Prime 5-acre parcel located near the aqueduct and the highly anticipated Silverwood Housing Project! Although currently rural, this land offers an incredible investment opportunity as the Silverwood Project is set to transform over 9,000 acres into a thriving community with more than 15,000 new homes, 700,000 square feet of commercial space, and nearly 5,000 acres of parks and open space. Secure your piece of this burgeoning area now and be ready to build once the infrastructure is in place! APN# 0405-431-19-0000 Coordinates: 34.340777 / -117.334649. This property does not have an address assigned. "750 Summit Valley Rd (NEAR)" is for listing purposes only.
Lot Size
221,284 sqft
Days on Market
180
HOA Fee
N/A
MLS #
HD25252337
Lot Features
Desert Back, Desert Front
Rural
$0
| Rating | School Name | ||
|---|---|---|---|
| No school data available for this area. | |||
Balanced market
Avg. time on market
This is a Balanced Market. Homes are selling at a moderate pace.
Flood Risk
Minimal — not in a FEMA flood zone
Wildfire Risk
Moderate — near wildland-urban interface
Heat Risk
Low — moderate summer temperatures
Earthquake Risk
Southern California seismic zone
Based on price, location, and features
Topfind Realty, DRE # 02240815, is a licensed real estate broker in California. Topfind Realty pledges to support the Fair Housing Act and adhere to Equal Housing Opportunity laws.
Copyright © 2026 Topfind Realty. All Rights Reserved.