
0 W Caroline, Hinkley, CA 92347
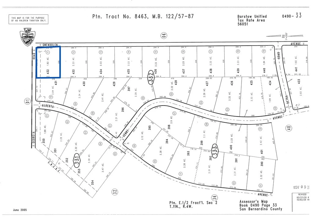
This raw residential parcel is located just off W. Caroline Street within a mapped and subdivided community. The area is currently undeveloped, offering wide open space and long-term potential for future growth. Whether you’re looking to invest in land, secure a parcel for future development, or add to your portfolio, this lot provides an affordable entry point in San Bernardino County. Surrounded by other subdivided parcels, this property offers the structure of an established tract while maintaining the privacy and flexibility of untouched desert land. Buyer to verify zoning, utilities, access, and all development requirements with the County of San Bernardino.
Lot Size
84,070 sqft
Days on Market
31
HOA Fee
N/A
MLS #
IG26045338
Lot Features
Two To Five Units Acre
Rural
$0
| Rating | School Name | ||
|---|---|---|---|
| No school data available for this area. | |||
Balanced market
Avg. time on market
This is a Balanced Market. Homes are selling at a moderate pace.
Flood Risk
Minimal — not in a FEMA flood zone
Wildfire Risk
Moderate — near wildland-urban interface
Heat Risk
Low — moderate summer temperatures
Earthquake Risk
Southern California seismic zone
Based on price, location, and features
Topfind Realty, DRE # 02240815, is a licensed real estate broker in California. Topfind Realty pledges to support the Fair Housing Act and adhere to Equal Housing Opportunity laws.
Copyright © 2026 Topfind Realty. All Rights Reserved.