




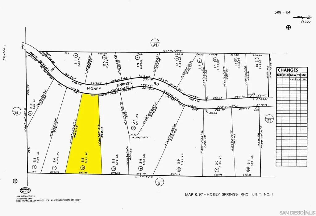
0 Honey Springs rd, Jamul, CA 91935
Build Your Private Hilltop Sanctuary on 5.6 Acres with Panoramic Views. Escape to the serene hills of Jamul on this expansive 5.6-acre estate site. Offering the perfect blend of privacy and accessibility, this property features breathtaking mountain views and a quiet atmosphere for your custom dream home. Ready for your vision, but with a significant head start as some grading has already been completed. Roughly 100x100 quarter acre flat pad. This property features a secure shared driveway that ensures a secluded feel from the main road. Zoned A72 you will have a tremendous amount of versatility including a vineyard, horse facilities, or a small organic farm. Prime Location: Enjoy the rural "country feel" while remaining just 30 minutes from downtown San Diego. Property was recently appraised, and seller is willing to consider financing. Redfin listed the median home prices in Jamul at $1.6M in November of 2025. Don't miss this opportunity to build equity in a high-demand area.
Bathrooms
0
Lot Size
244,372 sqft
Days on Market
0
HOA Fee
N/A
MLS #
2600244SD
Lot Features
Bluff, Level
$0
| Rating | School Name | ||
|---|---|---|---|
| No school data available for this area. | |||
Balanced market
Avg. time on market
This is a Balanced Market. Homes are selling at a moderate pace.
Flood Risk
Minimal — not in a FEMA flood zone
Wildfire Risk
Moderate — near wildland-urban interface
Heat Risk
Low — moderate summer temperatures
Earthquake Risk
Southern California seismic zone
Based on price, location, and features
Topfind Realty, DRE # 02240815, is a licensed real estate broker in California. Topfind Realty pledges to support the Fair Housing Act and adhere to Equal Housing Opportunity laws.
Copyright © 2026 Topfind Realty. All Rights Reserved.