
0 0, Joshua Tree, CA 92252
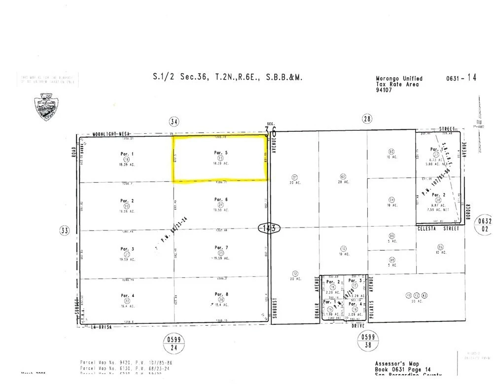
18.89 Acres of land, Zoned JT/RL-5 (Joshua Tree Rural Living) located about 3 miles from Joshua Tree; accessible via Moonlight Mesa St and Sunburst Ave. Bring all offers! Seller is motivated and will carry with substantial down payment.
Lot Size
822,848 sqft
Days on Market
1605
HOA Fee
N/A
MLS #
527852
Lot Features
Level
Rural
$0
| Rating | School Name | ||
|---|---|---|---|
| No school data available for this area. | |||
Balanced market
Avg. time on market
This is a Balanced Market. Homes are selling at a moderate pace.
Flood Risk
Minimal — not in a FEMA flood zone
Wildfire Risk
Moderate — near wildland-urban interface
Heat Risk
Low — moderate summer temperatures
Earthquake Risk
Southern California seismic zone
Based on price, location, and features
Topfind Realty, DRE # 02240815, is a licensed real estate broker in California. Topfind Realty pledges to support the Fair Housing Act and adhere to Equal Housing Opportunity laws.
Copyright © 2026 Topfind Realty. All Rights Reserved.