




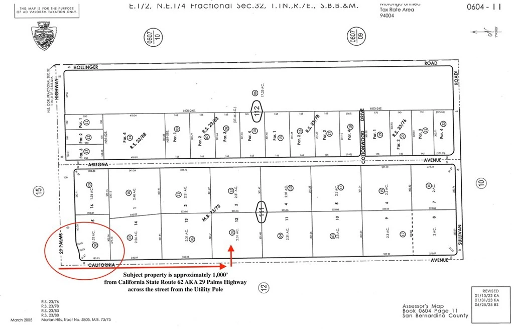
0 California Avenue, Joshua Tree, CA 92252
DUTCH AUCTION! Watch for bi-weekly price reductions until sold! Pretty much level 2.31 acre parcel not far from the popular Joshua Tree National Park on the Park side of the Highway. Nearby Utility poles. Beautiful views of the Mountains, great access to the property on a signed and graded road about 1000’ from California State Route 62 aka 29 palms Highway. APPROXIMATE GPS Coordinates from google maps: 34°07'54.1"N 116°16’06.7"W
Lot Size
100,623.6 sqft
Days on Market
33
HOA Fee
N/A
MLS #
NP26033784
Lot Features
Two To Five Units Acre, Lot Over40000 Sqft
Water Source
Other
Foothills, Hiking, Near National Forest
$0
| Rating | School Name | ||
|---|---|---|---|
| No school data available for this area. | |||
Balanced market
Avg. time on market
This is a Balanced Market. Homes are selling at a moderate pace.
Based on price, location, and features
Topfind Realty, DRE # 02240815, is a licensed real estate broker in California. Topfind Realty pledges to support the Fair Housing Act and adhere to Equal Housing Opportunity laws.
Copyright © 2026 Topfind Realty. All Rights Reserved.