
0 AKA Mile Hi Road, Julian, CA 92036
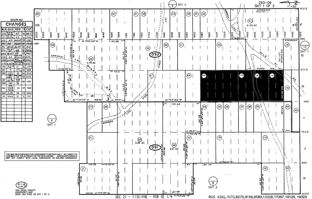
Lucky land opportunity in Julian, California, which is in San Diego County. These lots are located in the Harrison Park neighborhood and is about 60 miles to San Diego airport and 100 miles to Ontario airport. Street access by one of the lots and the three adjoining lots are included in the purchased for a total lot size of 18,731 square feet. Parcel numbers are 293 092 15 00,293 092 14 00, 293 092 13 00 and 293 092 43 00. Latitude and longitude coordinates are: 33.024873,-116.568715.
Lot Size
18,731 sqft
Days on Market
14
HOA Fee
N/A
MLS #
CV26016577
Lot Features
Sloped Up
Rural
$0
| Rating | School Name | ||
|---|---|---|---|
| No school data available for this area. | |||
Balanced market
Avg. time on market
This is a Balanced Market. Homes are selling at a moderate pace.
Flood Risk
Minimal — not in a FEMA flood zone
Wildfire Risk
Moderate — near wildland-urban interface
Heat Risk
Low — moderate summer temperatures
Earthquake Risk
Southern California seismic zone
Based on price, location, and features
Topfind Realty, DRE # 02240815, is a licensed real estate broker in California. Topfind Realty pledges to support the Fair Housing Act and adhere to Equal Housing Opportunity laws.
Copyright © 2026 Topfind Realty. All Rights Reserved.