




11345 Rayland Drive, Kagel Canyon, CA 91342
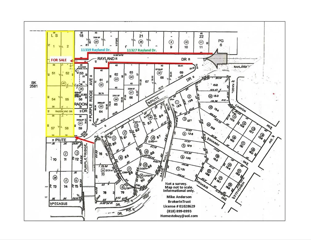
*PRIME SPOT IN KAGEL CANYON* It took the owner years to acquire and combine these 8 lots including private street frontage. New Assessor Parcel Number 2845-001-041 combines all this into this rare 20,315 SQ.FT. spot fit for THE KING OF THE HILL. KAGEL CANYON, A HIDDEN TREASURE, tucked within the Captivating Angeles National Forrest above the San Fernando Valley! Once known as Paradise Ranch to Hollywood Elite, it attracts Artists, Writers, Nature Lovers, Actors & trades people affiliated with the entertainment industry. It's twenty (20) minutes to Universal City Walk, Disney, Warner Brothers, NBC & the Bob Hope Burbank/Glendale/Pasadena Airport. 30 minutes to Santa Monica, Hollywood and Sony. 5 minutes to the Hideaway, a frequent film location and a working old Western Saloon & Grill nestled above bubbling Kagel Canyon Creek. Live in the mountains and if you have to work below, enjoy easy access to the junctions of the 2, 5, 14, 118, 170 210 & 405 Frwys. Neighborhood amenities include Angeles & El Cariso Golf Clubs, Mission College, Hansen Dam Recreation Center, Discovery Cube, The Polo Club, Gibson Ranch, Middle Ranch, Little Tujunga Canyon, Gold Spirit Equestrian Center, Dexter Park. You will enjoy an unincorporated area of Los Angeles County with its own Fire Station # 74, County Sheriffs, etc. No City Slickers here. Just numerous equestrian and hiking trails in this special section of the San Gabriel Mountains. Drive on up and fall in love with our exclusive Country Livestyle above the bustling city below.
Lot Size
20,315 sqft
Days on Market
262
HOA Fee
N/A
MLS #
SR25142868
Lot Features
Lot Over40000 Sqft, Rectangular Lot
Water Source
Other
Foothills, Horse Trails, Near National Forest, Park
$0
| Rating | School Name | ||
|---|---|---|---|
| No school data available for this area. | |||
Balanced market
Avg. time on market
This is a Balanced Market. Homes are selling at a moderate pace.
Based on price, location, and features
Topfind Realty, DRE # 02240815, is a licensed real estate broker in California. Topfind Realty pledges to support the Fair Housing Act and adhere to Equal Housing Opportunity laws.
Copyright © 2026 Topfind Realty. All Rights Reserved.