
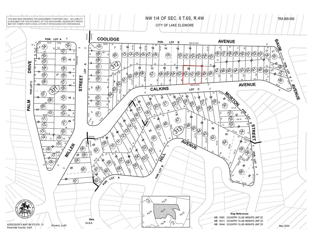
0 Calkins, Lake Elsinore, CA 92530
Land lot for sale, consist of 3 parcels. each with their own assessor parcel number, all three of them to be sold as one 8275 Sq Ft.
Lot Size
8,275 sqft
Days on Market
0
HOA Fee
N/A
MLS #
CV25223521
Lot Features
Eleven To Fifteen Units Acre, Gentle Sloping
Water Source
Private
Foothills
$0
| Rating | School Name | ||
|---|---|---|---|
| No school data available for this area. | |||
Balanced market
Avg. time on market
This is a Balanced Market. Homes are selling at a moderate pace.
Based on price, location, and features
Topfind Realty, DRE # 02240815, is a licensed real estate broker in California. Topfind Realty pledges to support the Fair Housing Act and adhere to Equal Housing Opportunity laws.
Copyright © 2026 Topfind Realty. All Rights Reserved.