
0 LINDELL Road, Lake Elsinore, CA 92532
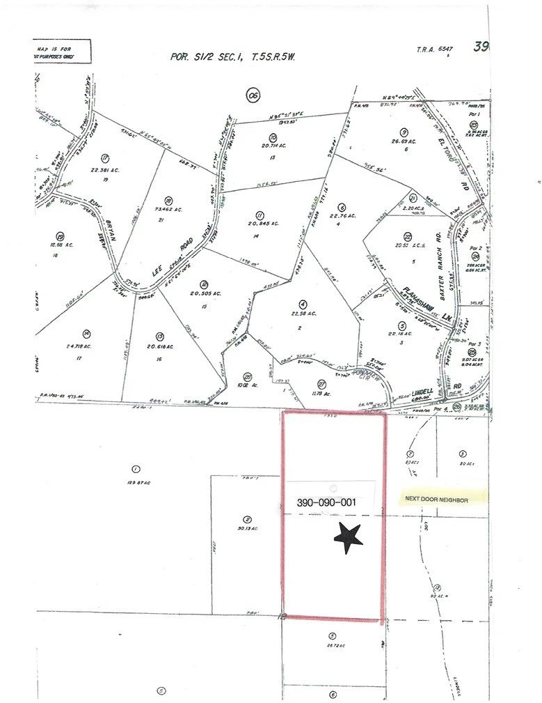
WOW! 80 ACRES LEVEL, $4,000 AN ACRE! ROLLING, LEVELISH, AND HILLY WEST OF EL TORO ROAD AND SOUTH OF BAXTER RANCH ROAD. IT APPEARS THE ASSESSOR MAP AND THE AERIAL MAP HAVE DIFFERENT LOCATIONS OF LINDELL ROAD AS THE AERIAL MAP HAS LINDELL RUNNING THROUGH THIS 80-ACRE PARCEL AND THE ASSESSOR MAP HAS L INDELL ROAD NEXT TO 80 ACRES. SEE MAPS. THERE IS A MOBILE/MANUFACTURED HOME ON TWO 20-ACRE PARCELS NEXT TO THESE 80 ACRES. LEGAL ADDRESS IS 25010 STOVEPIPE CANYON ROAD, LAKE ELSINORE, CA. STOVEPIPE AND LINDELL APPEAR TO BE THE SAME ROAD. EACH 20-ACRE PARCEL NUMBER AND ADDRESS IS 390-090-002 AKA 25010 STOVEPIPE AND 390-090-003 AKA 25020 LINDELL. HOMES COST WAY MORE THAN THESE 80 ACRES. THIS IS A VERY PEACEFUL AREA GREAT FOR THOSE WHO WOULD LIKE TO BUILD A HOME AND DEVELOP A PLANNED RANCHERO OVER THE YEARS. SELL 10 OR 20, EVEN 30 OR 40 ACRES A LITTLE AT A TIME FOR GOOD PROFIT AND MAKE MORE IMPROVEMENTS TO THE RANCHERO. THERE IS ALSO GREAT POTENTIAL FOR AN INVESTOR LOOKING TO HOLD OR SUBDIVIDE THESE 80 ACRES IN THE PATH OF GROWTH. MANY POSSIBILITIES. PLEASE USE MAPS IN SUPPLEMENTS AND THE NEIGHBOR'S ADDRESSES. SELLER WILL CONSIDER FINACING WITH 30% DOWN...MAKE OFFEER THAT MAY WORK FOR YOU!
Lot Size
3,484,800 sqft
Days on Market
585
HOA Fee
N/A
MLS #
SW24200334
Lot Features
Agricultural, Horse Property, Pasture, Rectangular Lot, Rolling Slope, Secluded
Sewer
None, Septic Type Unknown
Water Source
None, Private, Well
Rural, Valley
$0
| Rating | School Name | ||
|---|---|---|---|
| No school data available for this area. | |||
Balanced market
Avg. time on market
This is a Balanced Market. Homes are selling at a moderate pace.
Flood Risk
Minimal — not in a FEMA flood zone
Wildfire Risk
Moderate — near wildland-urban interface
Heat Risk
Low — moderate summer temperatures
Earthquake Risk
Southern California seismic zone
Based on price, location, and features
Topfind Realty, DRE # 02240815, is a licensed real estate broker in California. Topfind Realty pledges to support the Fair Housing Act and adhere to Equal Housing Opportunity laws.
Copyright © 2026 Topfind Realty. All Rights Reserved.