


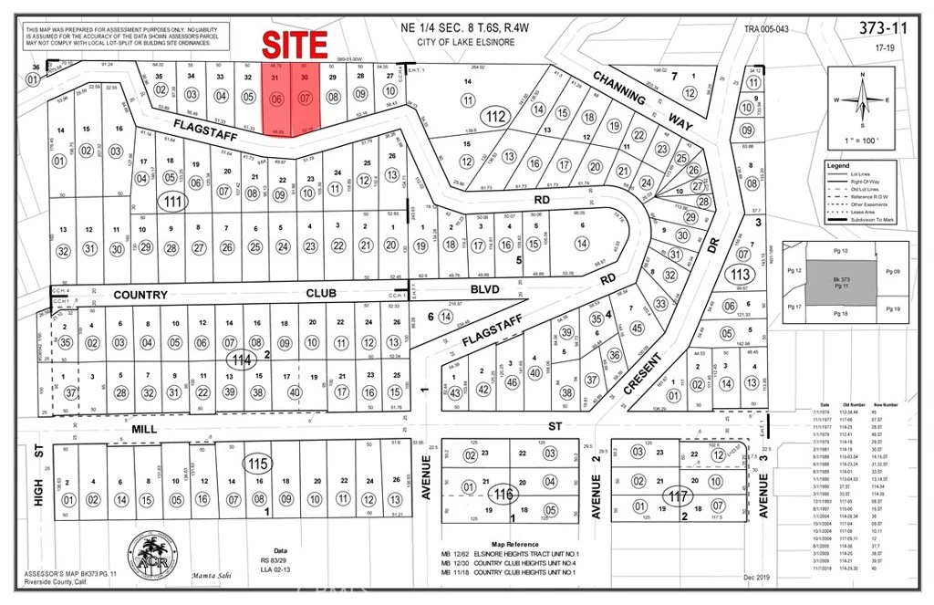
0 Ridge Rd, Lake Elsinore, CA 92530
Two (2) contiguous vacant land parcels totaling 0.29 acres (±12,631 sqft total) situated in the beautiful community of Lake Elsinore. Just 600 feet north of paved Mill Street. Very close proximity to the lake, schools, parks, and shopping. No paved road access, no utilities, buyers to conduct their own due diligence.
Lot Size
12,632.4 sqft
Days on Market
780
HOA Fee
N/A
MLS #
HD24062493
Lot Features
Irregular Lot
Rural
$0
| Rating | School Name | ||
|---|---|---|---|
| No school data available for this area. | |||
Balanced market
Avg. time on market
This is a Balanced Market. Homes are selling at a moderate pace.
Flood Risk
Minimal — not in a FEMA flood zone
Wildfire Risk
Moderate — near wildland-urban interface
Heat Risk
Low — moderate summer temperatures
Earthquake Risk
Southern California seismic zone
Based on price, location, and features
Topfind Realty, DRE # 02240815, is a licensed real estate broker in California. Topfind Realty pledges to support the Fair Housing Act and adhere to Equal Housing Opportunity laws.
Copyright © 2026 Topfind Realty. All Rights Reserved.