




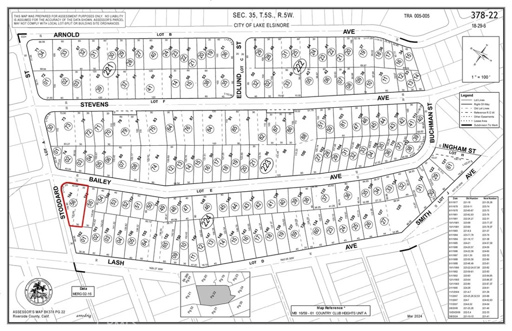
16376 Bailey Street, Lake Elsinore, CA 92530
Discover one of the largest lots (9,148 SF ) on Bailey Street, perfectly positioned on the corner of Bailey Street and Stoddard Street in the desirable city of Lake Elsinore. This Residential lot zoned R1, APN: 378-224-056, offers breathtaking views of sparkling city lights and the serene waters of Lake Elsinore, creating an ideal backdrop for your dream home. Nestled in an established neighborhood, the property combines privacy with convenience, just minutes from schools, parks, shopping centers, and the I-15 freeway. With nearby homes, accessing utilities is a straightforward process, making it a practical choice for building or holding as a long term investment. Whether you are envisioning your future residence or a smart investment opportunity, this spacious corner lot offers the perfect balance of location, lifestyle, and potential.
Lot Size
9,148 sqft
Days on Market
195
HOA Fee
N/A
MLS #
OC25196615
Lot Features
Corner Lot, Paved, Rectangular Lot
Water Source
See Remarks
Fishing, Hiking, Rural
$0
| Rating | School Name | ||
|---|---|---|---|
| No school data available for this area. | |||
Balanced market
Avg. time on market
This is a Balanced Market. Homes are selling at a moderate pace.
Based on price, location, and features
Topfind Realty, DRE # 02240815, is a licensed real estate broker in California. Topfind Realty pledges to support the Fair Housing Act and adhere to Equal Housing Opportunity laws.
Copyright © 2026 Topfind Realty. All Rights Reserved.