




9701 Foothill Boulevard, Lakeview Terrace, CA 91342
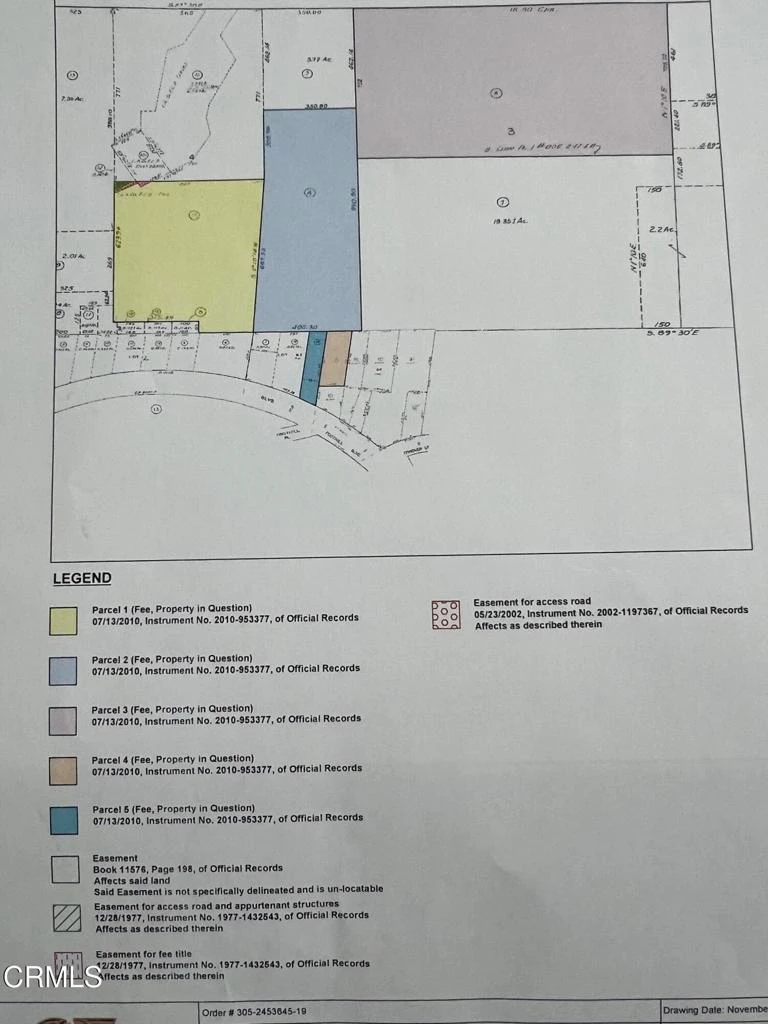
This is one for your imagination. There are 5 separate lots that all touch one another totaling over 43.5 acres. Located in the mountains north of Foothill Blvd. Lakeview Terrace offers a real mix of 'country meets city.' The area includes semi-rural homes with some equestrian properties and more typical suburban subdivisions. Horsekeeping is part of the local lifestyle, with horse properties, stables and nearby trails -- it's one of the few LA neighborhoods still zoned for this. It is also near to Hansen Dam Recreation Area a huge multi-use park with hiking/biking trails, picnic areas, fishing, a recreation lake, sports fields, open space, and more.
Bathrooms
0
Lot Size
1,891,375.2 sqft
Days on Market
1
HOA Fee
N/A
MLS #
P1-25638
Lot Features
Horse Property, Sprinklers None
Water Source
Public
Hiking, Horse Trails
$0
| Rating | School Name | ||
|---|---|---|---|
| No school data available for this area. | |||
Balanced market
Avg. time on market
This is a Balanced Market. Homes are selling at a moderate pace.
Flood Risk
Minimal — not in a FEMA flood zone
Wildfire Risk
Moderate — near wildland-urban interface
Heat Risk
Low — moderate summer temperatures
Earthquake Risk
Southern California seismic zone
Based on price, location, and features
Topfind Realty, DRE # 02240815, is a licensed real estate broker in California. Topfind Realty pledges to support the Fair Housing Act and adhere to Equal Housing Opportunity laws.
Copyright © 2026 Topfind Realty. All Rights Reserved.