


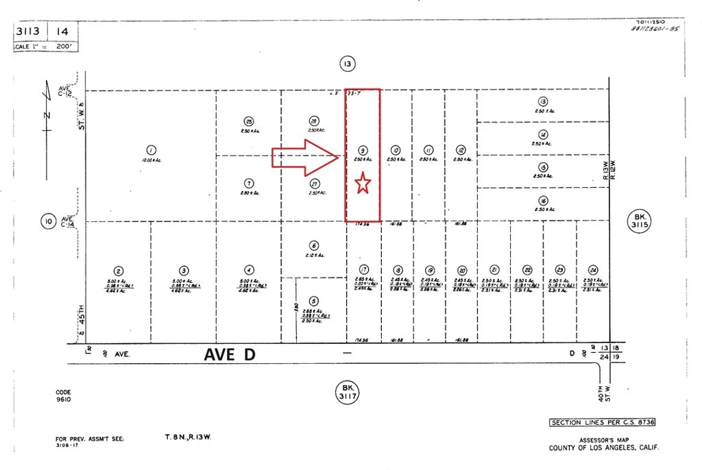
0 Avenue C12/ 43 St.w, Lancaster, CA 93536
2.50 Acres of land, corner lot, it is a great investment opportunity in the developing Antelope Valley where land is still affordable. Zoned R-A, residential agricultural, cross streets are Ave C12 & 43rd St. West within the community of Caliche, existing ranch homes around the subject land. Located just 1 hour north of Los Angeles. Zoning: R-A , 2.5 Acres ; Size: 662’ x 165’; APN: 3113-014-009 ; GPS: 34.778431, -118.206045
Lot Size
108,900 sqft
Days on Market
716
HOA Fee
N/A
MLS #
PW24063156
Lot Features
Agricultural, Lot Over40000 Sqft, Rectangular Lot
Rural
$0
| Rating | School Name | ||
|---|---|---|---|
| No school data available for this area. | |||
Balanced market
Avg. time on market
This is a Balanced Market. Homes are selling at a moderate pace.
Flood Risk
Minimal — not in a FEMA flood zone
Wildfire Risk
Moderate — near wildland-urban interface
Heat Risk
Low — moderate summer temperatures
Earthquake Risk
Southern California seismic zone
Based on price, location, and features
Topfind Realty, DRE # 02240815, is a licensed real estate broker in California. Topfind Realty pledges to support the Fair Housing Act and adhere to Equal Housing Opportunity laws.
Copyright © 2026 Topfind Realty. All Rights Reserved.