




0 Avenue D-8, Lancaster, CA 93536
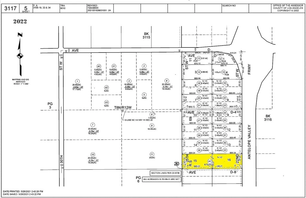
Freeway Frontage! 10.1 Acres M1 Industrial Land in Lancaster Major investment opportunity in the Antelope Valley. This 10.1-acre M1-zoned industrial parcel offers approximately 332 feet of direct frontage on Hwy 14, giving it excellent visibility and strategic positioning in a growing corridor of Lancaster, L.A. County. Located near Hwy 138 and within the Fox Airfield Corridor, this property is ideally suited for investors, developers, and land bankers looking for future upside. Easy regional access to Los Angeles, rail connections, and the Port of Long Beach strengthens the property’s appeal for industrial, logistics, manufacturing, commercial, or other future development uses. Large industrial parcels with direct freeway exposure are increasingly hard to find. This is a strong hold for future appreciation or a valuable addition to an investment portfolio. Property Highlights: Zoning: M1 – Light Industrial ; Size: 10.1 Acres ; Frontage: Approx. 332 feet on Hwy 14 ; Location: Near Hwy 138 / Fox Airfield Corridor; APN: 3117-005-044 ; GPS: 34.769743, -118.171215 (SE Corner) ; Title Insurance Included ; contact me for more information.
Lot Size
443,440.8 sqft
Days on Market
0
HOA Fee
N/A
MLS #
PW26059075
Lot Features
Lot Over40000 Sqft, Rectangular Lot
Water Source
See Remarks
Rural
$0
| Rating | School Name |
|---|---|
9 | GreatSchools High (Demo) public School • ratio 22:1 |
7 | Valley View Elementary (Demo) public School • ratio 18:1 |
6 | Lincoln Middle School (Demo) public School • ratio 20:1 |
NR | St. Mary Example Academy (Demo) private School • ratio 12:1 |
Balanced market
Avg. time on market
This is a Balanced Market. Homes are selling at a moderate pace.
Based on price, location, and features
Topfind Realty, DRE # 02240815, is a licensed real estate broker in California. Topfind Realty pledges to support the Fair Housing Act and adhere to Equal Housing Opportunity laws.
Copyright © 2026 Topfind Realty. All Rights Reserved.