

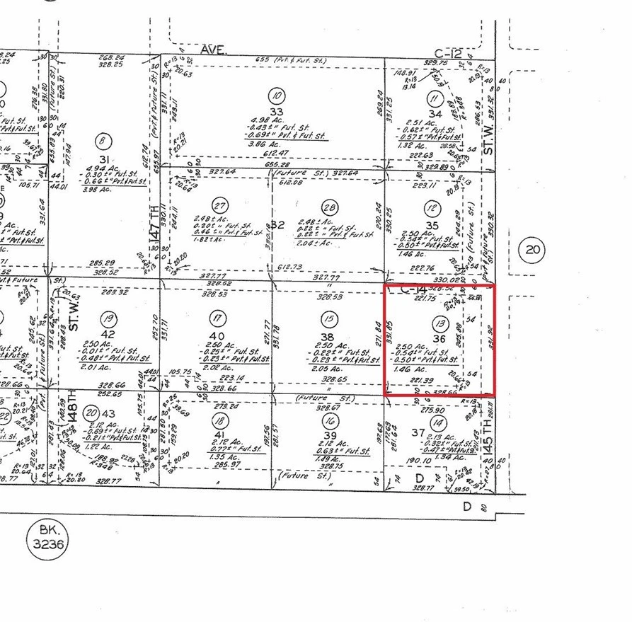
0 Corner W Ave C14/145th St W, Lancaster, CA 93536
Affordable land parcel in the western Antelope Valley, with a close-in location! This land parcel is believed to have access easements for future streets on 2 sides of the property, representing 145th St W and W Ave C-14 (see attached parcel map-buyer to verify). This would then allow for the future owner of this land parcel to access and utilize the land without any easements. This parcel is only 1 parcel over from Ave D/Hwy 138, and there are powerlines running along the street. This land is in a scenic area of rolling plains and ranch homes. The location is great, as it's very close to Antelope Acres and not a far drive from Lancaster. The time spent on dirt roads would be minimal. This may be a great location to camp, go off-roading, install a mobile home, build a house, store trucks, or start a small farm. This is a great opportunity to acquire a land parcel on the westside at an affordable price, and it may be a good long-term investment due to its proximity to Hwy 138 and the future streets. Don't miss out!
Lot Size
108,999 sqft
Days on Market
0
HOA Fee
N/A
MLS #
SR26033422
Lot Features
Horse Property, Lot Over40000 Sqft
Rural, Suburban
$0
| Rating | School Name | ||
|---|---|---|---|
| No school data available for this area. | |||
Balanced market
Avg. time on market
This is a Balanced Market. Homes are selling at a moderate pace.
Based on price, location, and features
Topfind Realty, DRE # 02240815, is a licensed real estate broker in California. Topfind Realty pledges to support the Fair Housing Act and adhere to Equal Housing Opportunity laws.
Copyright © 2026 Topfind Realty. All Rights Reserved.