
0 W Ave L, Lancaster, CA 93534
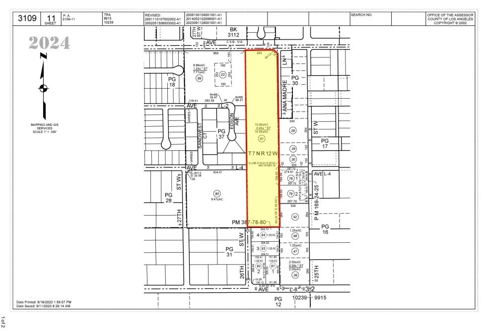
±14.55 acres of unimproved residential land for sale on W Ave L in Lancaster; APN: 3109-011-081. This lot has split zoning, with approximately 9.6 acres zoned Semi Rural Residential (SRR permitting 1 dwelling unit/20,000 sq ft) and the remainder zoned Rural Residential (RR-1 permitting 1 dwelling unit/40,000 sq ft). Preliminary conversations with the City indicate support for a full rezone to SRR to allow for harmonious zoning and additional unit density. Water, sewer, and power are all available at the site. Surrounding amenities for future residents include Costco, Target, Stater Bros Markets, Sprouts Farmers Market, Lowe’s Home Improvement, 24 Hour Fitness, Ross Dress for Less, Starbucks, Dave’s Hot Chicken, US Bank, and more. This site is adjacent to KB Home’s Primrose Community, an exciting expansion of new development that’s already sold more than half of the total lots! Buyer to verify all information contained herein. Agent and their representatives are not responsible for the accuracy of these claims
Lot Size
633,798 sqft
Days on Market
16
HOA Fee
N/A
MLS #
HD26002783
Lot Features
No Landscaping
Water Source
See Remarks
Rural
$0
| Rating | School Name | ||
|---|---|---|---|
| No school data available for this area. | |||
Balanced market
Avg. time on market
This is a Balanced Market. Homes are selling at a moderate pace.
Based on price, location, and features
Topfind Realty, DRE # 02240815, is a licensed real estate broker in California. Topfind Realty pledges to support the Fair Housing Act and adhere to Equal Housing Opportunity laws.
Copyright © 2026 Topfind Realty. All Rights Reserved.