




0 W Avenue B14 + 25th St.W, Lancaster, CA 93536
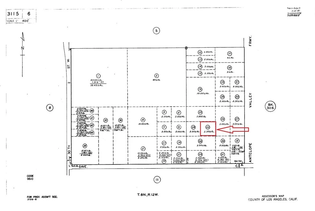
The subject 2.5 acre land is situated at the northwest corner of Highway 14 and West Avenue C, just north of Fox Airfield and Apollo Park. Positioned within a potential future growth area, the property remains unimproved and will be delivered in its current condition. APN: 3115-006-025 Size: 2.5 Acres Zoning: A-2-2; LCD22* Gps: 34.793745, -118.174063
Lot Size
108,900 sqft
Days on Market
355
HOA Fee
N/A
MLS #
PW25072048
Lot Features
Agricultural, Lot Over40000 Sqft
Rural
$0
| Rating | School Name | ||
|---|---|---|---|
| No school data available for this area. | |||
Balanced market
Avg. time on market
This is a Balanced Market. Homes are selling at a moderate pace.
Based on price, location, and features
Topfind Realty, DRE # 02240815, is a licensed real estate broker in California. Topfind Realty pledges to support the Fair Housing Act and adhere to Equal Housing Opportunity laws.
Copyright © 2026 Topfind Realty. All Rights Reserved.