

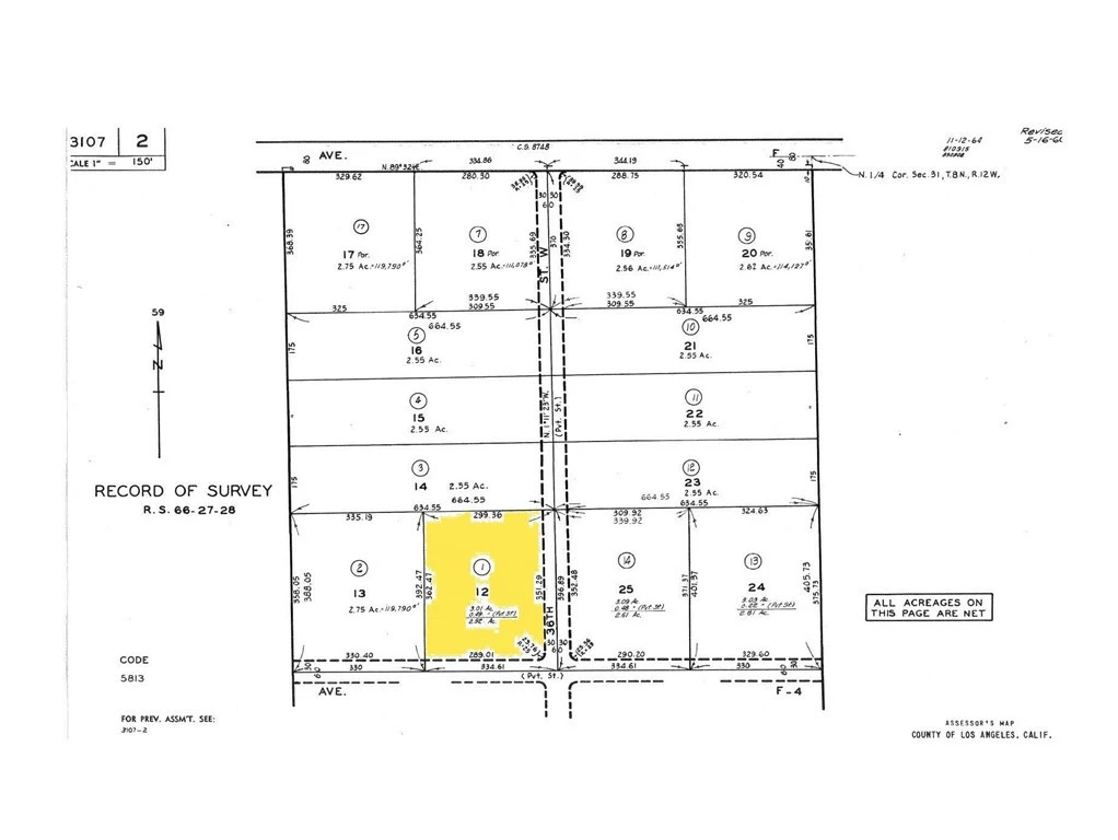
0 W Avenue F-4, Lancaster, CA 93536
Presenting an exceptional opportunity to acquire a 3.01-acre (131,195 sq. ft.) parcel situated within the Fox Field Specific Plan area of Lancaster, CA. This property is designated for light industrial use, offering a versatile foundation for various industrial developments. Key Features: Zoning: Located within the Fox Field Specific Plan, permitting light industrial applications. Lot Size: Approximately 3.01 acres (131,195 sq. ft.), providing ample space for development. Topography: Mostly flat terrain, ideal for various industrial uses. Accessibility: Situated approximately 900 feet south of West Avenue F, a paved road, and about 1.5 miles west of California State Highway 14, ensuring convenient access. Utilities: Buyer to verify the proximity and availability of utilities with the appropriate agencies.
Lot Size
131,195 sqft
Days on Market
0
HOA Fee
N/A
MLS #
PW25274375
Lot Features
Rectangular Lot
Rural
$0
| Rating | School Name | ||
|---|---|---|---|
| No school data available for this area. | |||
Balanced market
Avg. time on market
This is a Balanced Market. Homes are selling at a moderate pace.
Based on price, location, and features
Topfind Realty, DRE # 02240815, is a licensed real estate broker in California. Topfind Realty pledges to support the Fair Housing Act and adhere to Equal Housing Opportunity laws.
Copyright © 2026 Topfind Realty. All Rights Reserved.