

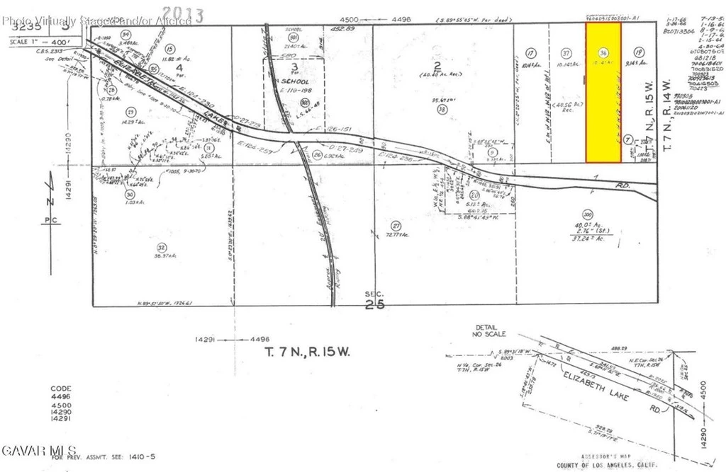
161 Avenue K, Lancaster, CA 93536
APN: 3235-005-036 Coordinates: 34.670222, -118.415000 10 Acre parcel for sale in LA County. This lot is located off of Elizabeth Lake Rd rd Near Lake Hughes. Large parcel zoned for residential use per county records. Excellent location and opportunity to build a home.
Lot Size
438,648 sqft
Days on Market
31
HOA Fee
N/A
MLS #
IV26040718
Lot Features
Rectangular Lot
Rural
$0
| Rating | School Name | ||
|---|---|---|---|
| No school data available for this area. | |||
Balanced market
Avg. time on market
This is a Balanced Market. Homes are selling at a moderate pace.
Based on price, location, and features
Topfind Realty, DRE # 02240815, is a licensed real estate broker in California. Topfind Realty pledges to support the Fair Housing Act and adhere to Equal Housing Opportunity laws.
Copyright © 2026 Topfind Realty. All Rights Reserved.