
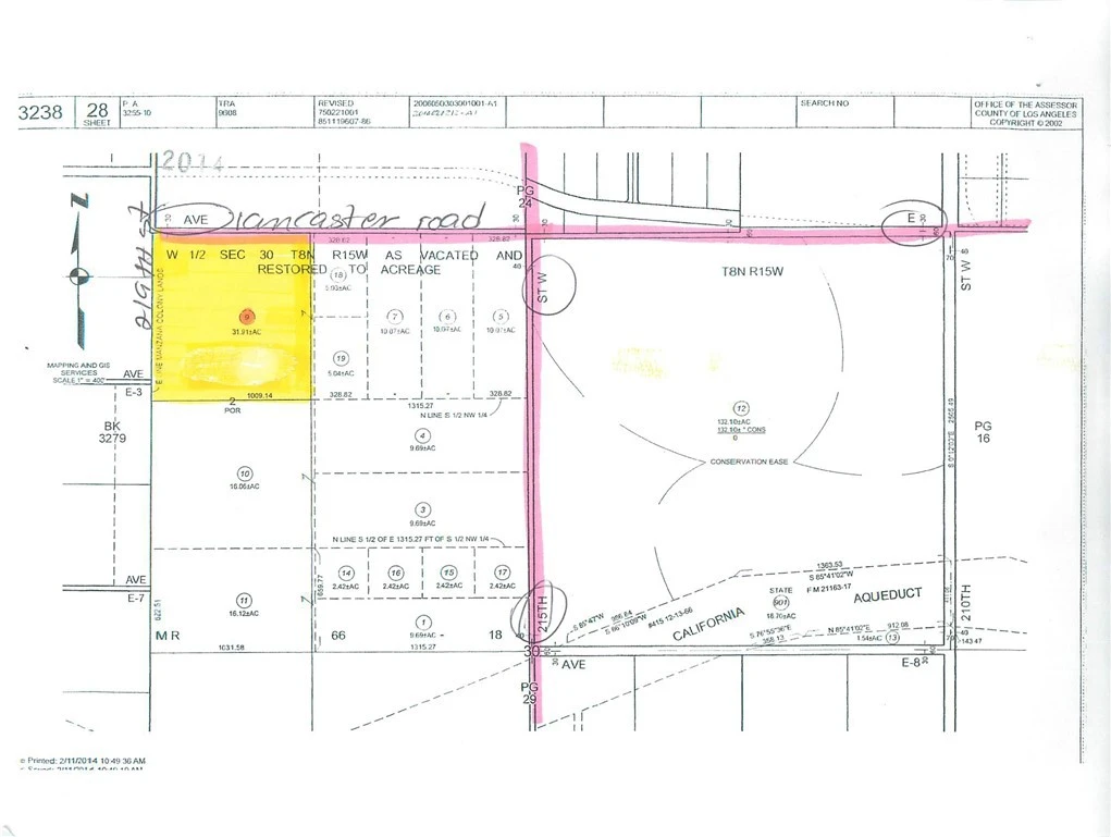
219 Street W Avenue E, Lancaster, CA 93536
Picturesque property nestled in the heart of Los Angeles County is awaiting your vision. With a generous parcel size of 24.3358 acres, there's ample space to build your dream home, create a peaceful retreat, or invest in your future. Located in the vibrant city of Fairmont/West of Lancaster, you'll enjoy the perfect blend of tranquility and urban convenience. This Are you dreaming of owning your piece of California's beauty? Look no further! This lot offers a serene escape while still being within easy reach of city amenities. Whether you're seeking a weekend getaway or year-round living, this parcel provides endless possibilities. Don't miss out on this incredible opportunity to own a slice of California paradise close to Lake Piru, Quail Lake, Pyramid Lake, Castaic Lake and Apollo Community Regional Park! Contact us today to make this lot yours and start living the life you've always dreamed of.
Lot Size
1,060,069 sqft
Days on Market
0
HOA Fee
N/A
MLS #
SR25082575
Lot Features
Twenty One To Twenty Five Units Acre
Water Source
See Remarks
Biking, Fishing, Hiking, Horse Trails, Hunting, Lake
$0
| Rating | School Name | ||
|---|---|---|---|
| No school data available for this area. | |||
Balanced market
Avg. time on market
This is a Balanced Market. Homes are selling at a moderate pace.
Based on price, location, and features
Topfind Realty, DRE # 02240815, is a licensed real estate broker in California. Topfind Realty pledges to support the Fair Housing Act and adhere to Equal Housing Opportunity laws.
Copyright © 2026 Topfind Realty. All Rights Reserved.