




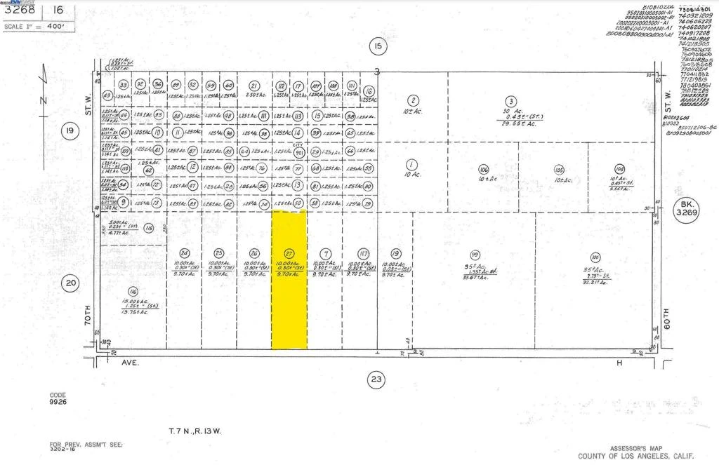
3268-016-027, Lancaster, CA 93536
APN 3268-016-027. GPS 34.720445, -118.248601. Discover an exceptional opportunity with this expansive nearly 10 acre parcel of light industrial land, perfectly suited for a solar farm, land bank investment, storage or distribution, or future development projects. Boasting 325 feet of prime frontage, this property offers both visibility and accessibility to accommodate a range of possibilities. Located near General William J. Fox Airfield in the heart of a growing industrial hub, this property is positioned to take advantage of regional growth and infrastructure expansion. The flat, usable land simplifies the development process, making it an attractive choice for businesses or investors seeking strategic opportunities.
Bathrooms
0
Lot Size
416,924 sqft
Days on Market
353
HOA Fee
N/A
MLS #
41082385
$0
| Rating | School Name | ||
|---|---|---|---|
| No school data available for this area. | |||
Balanced market
Avg. time on market
This is a Balanced Market. Homes are selling at a moderate pace.
Flood Risk
Minimal — not in a FEMA flood zone
Wildfire Risk
Moderate — near wildland-urban interface
Heat Risk
Low — moderate summer temperatures
Earthquake Risk
Southern California seismic zone
Based on price, location, and features
Topfind Realty, DRE # 02240815, is a licensed real estate broker in California. Topfind Realty pledges to support the Fair Housing Act and adhere to Equal Housing Opportunity laws.
Copyright © 2026 Topfind Realty. All Rights Reserved.