

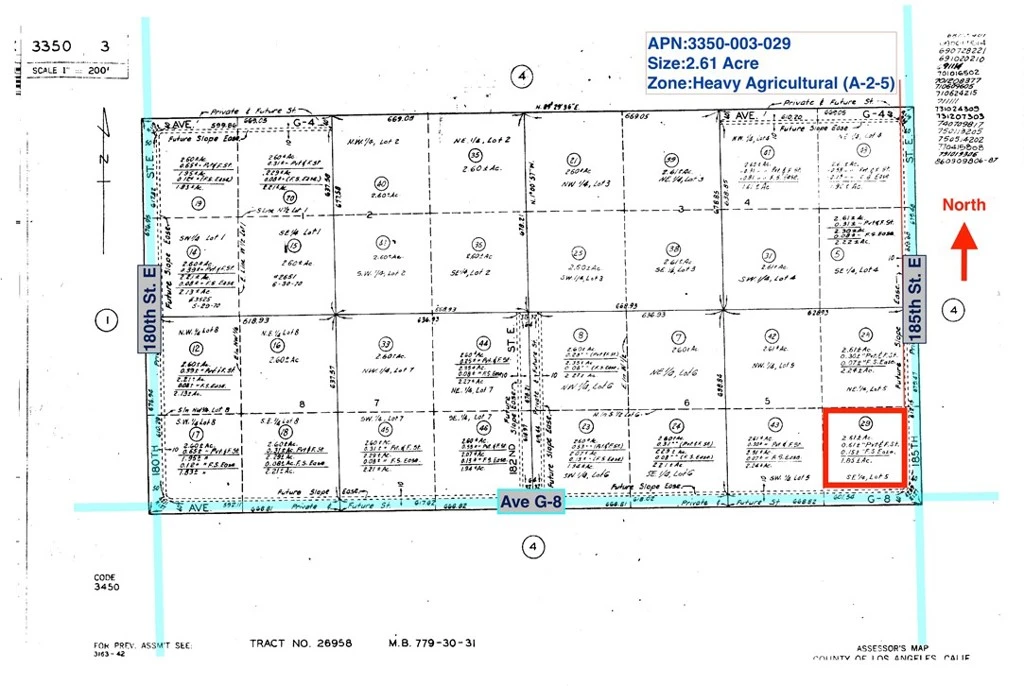
45501 185th Street E, Lancaster, CA 93535
Positioned in the tranquil high desert, this 2.6-acre corner parcel offers the rare opportunity to shape a vision from the ground up. Zoned A-2-5 (Heavy Agricultural), the land welcomes a range of possibilities—cultivating crops, establishing greenhouses, grazing livestock, creating equestrian facilities, or designing a private rural retreat. The level, rectangular terrain unfolds under expansive skies, framed by sweeping mountain and desert vistas. Here, space and privacy are abundant, yet Lancaster’s amenities remain within easy reach. Whether for agricultural enterprise, a custom residence, or as a strategic long-term investment, this property offers a canvas as open as the landscape itself.
Lot Size
113,614 sqft
Days on Market
0
HOA Fee
N/A
MLS #
SB25184200
Lot Features
Agricultural, Corner Lot, Lot Over40000 Sqft, Level, No Landscaping, Rectangular Lot
Rural
$0
| Rating | School Name | ||
|---|---|---|---|
| No school data available for this area. | |||
Balanced market
Avg. time on market
This is a Balanced Market. Homes are selling at a moderate pace.
Based on price, location, and features
Topfind Realty, DRE # 02240815, is a licensed real estate broker in California. Topfind Realty pledges to support the Fair Housing Act and adhere to Equal Housing Opportunity laws.
Copyright © 2026 Topfind Realty. All Rights Reserved.