
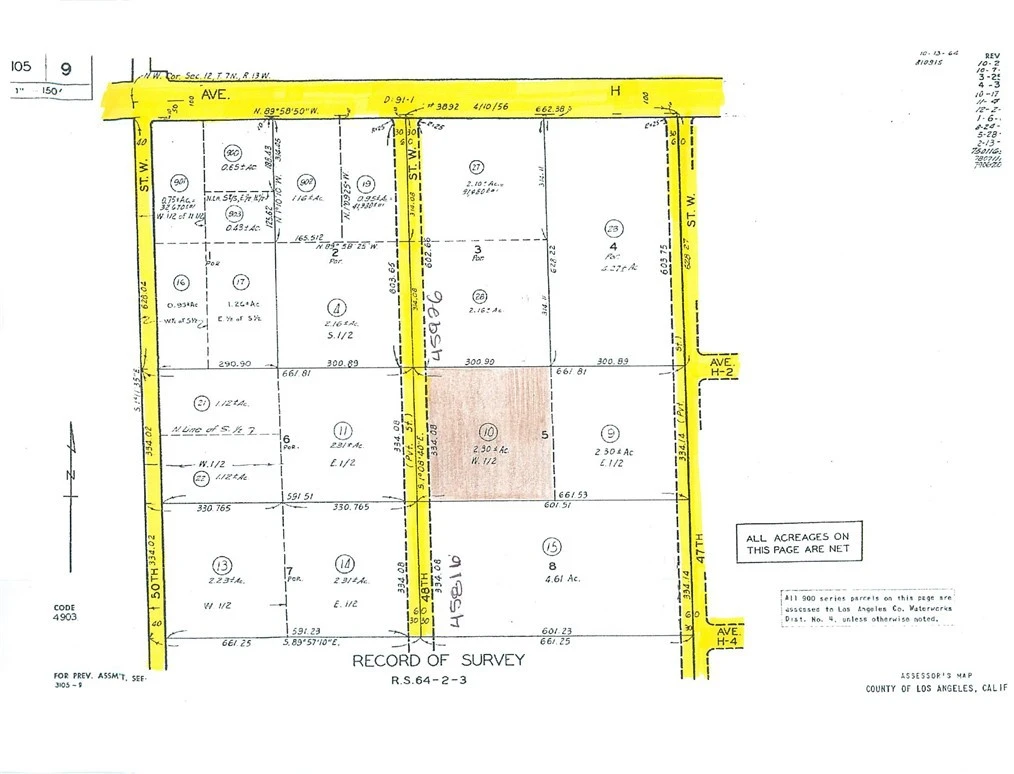
48 W Street West VIC Avenue, Lancaster, CA 93536
Picturesque property nestled in the heart of Los Angeles County is awaiting your vision. With a generous parcel size of 2.54 acres, there's ample space to build your dream home, create a peaceful retreat, or invest in your future. Located in the vibrant city of Lancaster/West of Lancaster, you'll enjoy the perfect blend of tranquility and urban convenience. This lot is located between two houses, waiting for the construction of your dream house .Don't miss out on this incredible opportunity to own a slice of California paradise close to Lake Piru, Quail Lake, Pyramid Lake, Castaic Lake and Apollo Community Regional Park! Contact us today to make this lot yours and start living the life you've always dreamed of.
Lot Size
110,473 sqft
Days on Market
0
HOA Fee
N/A
MLS #
SR26014685
Lot Features
Two To Five Units Acre
Biking, Hiking, Urban
$0
| Rating | School Name | ||
|---|---|---|---|
| No school data available for this area. | |||
Balanced market
Avg. time on market
This is a Balanced Market. Homes are selling at a moderate pace.
Based on price, location, and features
Topfind Realty, DRE # 02240815, is a licensed real estate broker in California. Topfind Realty pledges to support the Fair Housing Act and adhere to Equal Housing Opportunity laws.
Copyright © 2026 Topfind Realty. All Rights Reserved.