




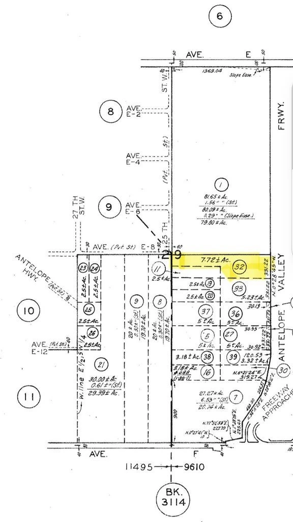
8300 Ave E-8, Lancaster, CA 93536
This 7.72-acre industrial parcel offers approximately 331 feet of frontage along the 14 Freeway frontage road, providing strong visibility and access. Located in Lancaster, the property is positioned within an established and developing industrial corridor. The parcel presents an opportunity for a variety of industrial uses (buyer to verify zoning, permitted uses, and development standards with the appropriate authorities).
Lot Size
341,312 sqft
Days on Market
0
HOA Fee
N/A
MLS #
SR26033084
Lot Features
Six To Ten Units Acre
Rural, Valley
$0
| Rating | School Name | ||
|---|---|---|---|
| No school data available for this area. | |||
Balanced market
Avg. time on market
This is a Balanced Market. Homes are selling at a moderate pace.
Based on price, location, and features
Topfind Realty, DRE # 02240815, is a licensed real estate broker in California. Topfind Realty pledges to support the Fair Housing Act and adhere to Equal Housing Opportunity laws.
Copyright © 2026 Topfind Realty. All Rights Reserved.