




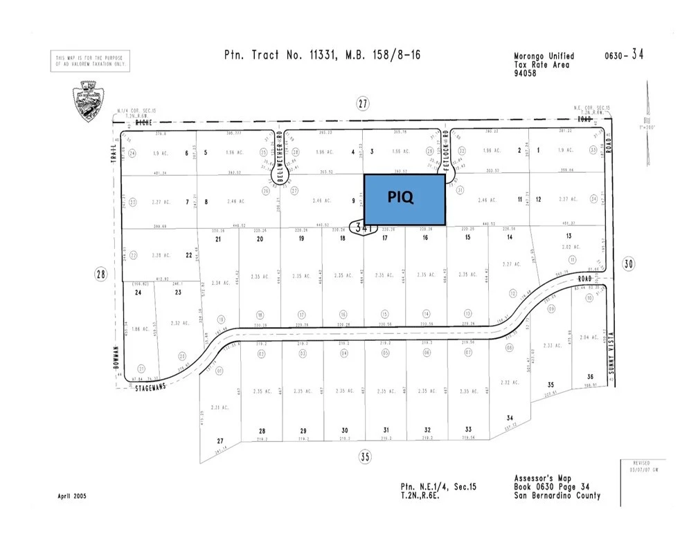
0 Fetlock, Landers, CA 92285
Rare opportunity in Landers! The seller has two vacant lots available on a quiet cul-de-sac—purchase one or buy both for added space and flexibility. These parcels offer pristine desert surroundings, wide-open skies, and forever views, making them an excellent setting for your custom desert home or getaway. Financing may be available through US Bank (Leah Verigan). Call your agent for additional details.
Lot Size
107,157 sqft
Days on Market
0
HOA Fee
N/A
MLS #
JT26025808
Lot Features
Desert Back, Desert Front
Hiking, Horse Trails, Rural
$0
| Rating | School Name | ||
|---|---|---|---|
| No school data available for this area. | |||
Balanced market
Avg. time on market
This is a Balanced Market. Homes are selling at a moderate pace.
Flood Risk
Minimal — not in a FEMA flood zone
Wildfire Risk
Moderate — near wildland-urban interface
Heat Risk
Low — moderate summer temperatures
Earthquake Risk
Southern California seismic zone
Based on price, location, and features
Topfind Realty, DRE # 02240815, is a licensed real estate broker in California. Topfind Realty pledges to support the Fair Housing Act and adhere to Equal Housing Opportunity laws.
Copyright © 2026 Topfind Realty. All Rights Reserved.