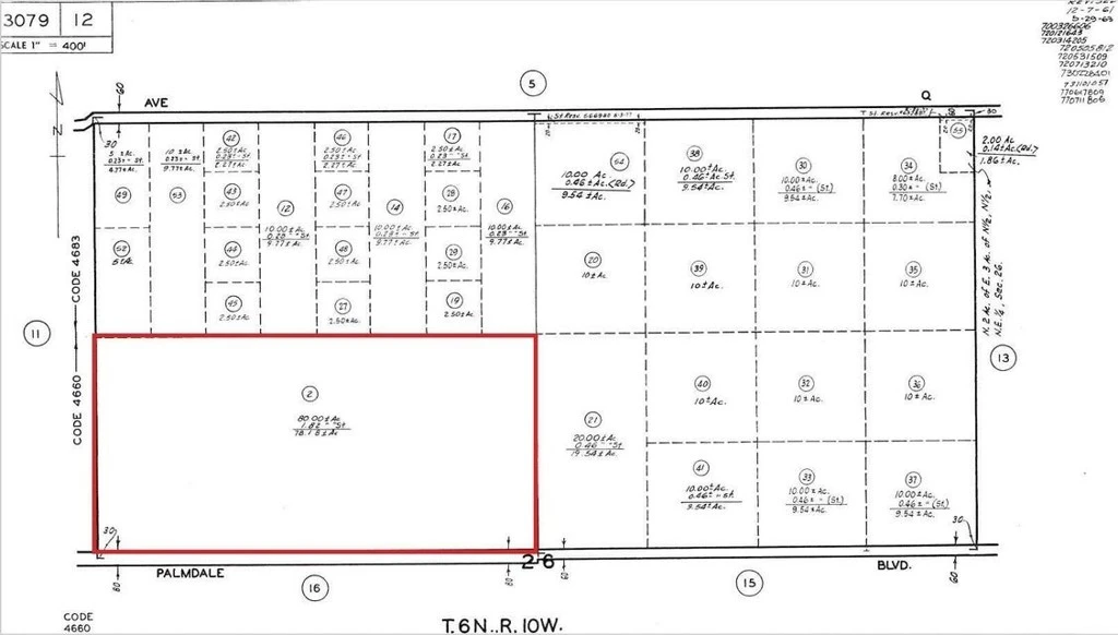
0 E Palmdale Boulevard, Littlerock, CA | Topfind Realty | Topfind Realty