




0 E Ave X, Llano, CA 93544
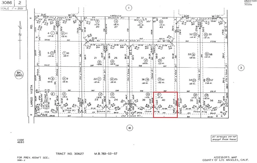
APN: 3086-002-021 Coordinates: 34.484278, -117.759583 2.31 acres for sale in LA County. This lot is located in Llano, CA near the corner of E Ave X and Largo Vista Rd. Excellent location off of Highway 138 and Largo Vista Rd. Quick access to Victorville and the Antelope Valley.
Lot Size
100,695 sqft
Days on Market
12
HOA Fee
N/A
MLS #
IV25221499
Lot Features
Agricultural
Rural
$0
| Rating | School Name | ||
|---|---|---|---|
| No school data available for this area. | |||
Balanced market
Avg. time on market
This is a Balanced Market. Homes are selling at a moderate pace.
Flood Risk
Minimal — not in a FEMA flood zone
Wildfire Risk
Moderate — near wildland-urban interface
Heat Risk
Low — moderate summer temperatures
Earthquake Risk
Southern California seismic zone
Based on price, location, and features
Topfind Realty, DRE # 02240815, is a licensed real estate broker in California. Topfind Realty pledges to support the Fair Housing Act and adhere to Equal Housing Opportunity laws.
Copyright © 2026 Topfind Realty. All Rights Reserved.