




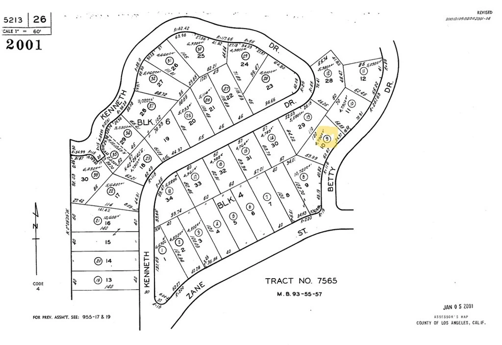
3215 N Betty Drive, Los Angeles, CA 90032
Lot located in El Sereno. Build your dream house with views of the city and mountains. Lots of new builds around this area. Located next to 3229 Betty Drive.
Lot Size
4,664 sqft
Days on Market
336
HOA Fee
N/A
MLS #
CV25020651
Lot Features
Sloped Up
Water Source
Public
Mountainous
$0
| Rating | School Name | ||
|---|---|---|---|
| No school data available for this area. | |||
Balanced market
Avg. time on market
This is a Balanced Market. Homes are selling at a moderate pace.
Flood Risk
Minimal — not in a FEMA flood zone
Wildfire Risk
Moderate — near wildland-urban interface
Heat Risk
Low — moderate summer temperatures
Earthquake Risk
Southern California seismic zone
Based on price, location, and features
Topfind Realty, DRE # 02240815, is a licensed real estate broker in California. Topfind Realty pledges to support the Fair Housing Act and adhere to Equal Housing Opportunity laws.
Copyright © 2026 Topfind Realty. All Rights Reserved.