




7323 Crenshaw Boulevard, Los Angeles, CA 90043
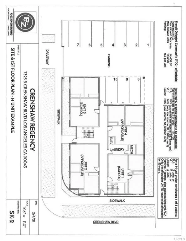
Back on the marker (APPROVED PLANS FOR 18 UNITS) 7323 Crenshaw Blvd, This corner lot is 8831sf, Opportunity Zone development site is located along the dynamic Crenshaw Blvd corridor. Located near LAX and Crenshaw Metro Rail Line, the property is well positioned to provide tenants with ease of access to LAX, West Adams, USC, DTLA, Santa Monica, and Culver City. Currently the plans are Approved 18 units apartment building with carport, this project will be affordable housing TOC Tier 3. Easy to start building with the older building demolished; possible to build 26 units or up to 46 units if the TOC incentives are utilized; there is also potential to achieve unlimited density via AB 2345 and expedited entitlement process through executive directive 1 if a 100% affordable housing project is pursued. the property is well positioned to provide profits for future generations. The Crenshaw corridor is going through significant upgrades with nearby developments include several multi unit projects in the area.
Lot Size
8,831 sqft
Days on Market
0
HOA Fee
N/A
MLS #
SR26016234
Lot Features
Corner Lot, Near Public Transit, Value In Land
Sewer
Public Sewer
Water Source
Public
Curbs, Storm Drains, Street Lights, Sidewalks
$0
| Rating | School Name | ||
|---|---|---|---|
| No school data available for this area. | |||
Balanced market
Avg. time on market
This is a Balanced Market. Homes are selling at a moderate pace.
Flood Risk
Minimal — not in a FEMA flood zone
Wildfire Risk
Moderate — near wildland-urban interface
Heat Risk
Low — moderate summer temperatures
Earthquake Risk
Southern California seismic zone
Based on price, location, and features
Topfind Realty, DRE # 02240815, is a licensed real estate broker in California. Topfind Realty pledges to support the Fair Housing Act and adhere to Equal Housing Opportunity laws.
Copyright © 2026 Topfind Realty. All Rights Reserved.