




1325 1335 15th Street, Los Osos, CA 93402
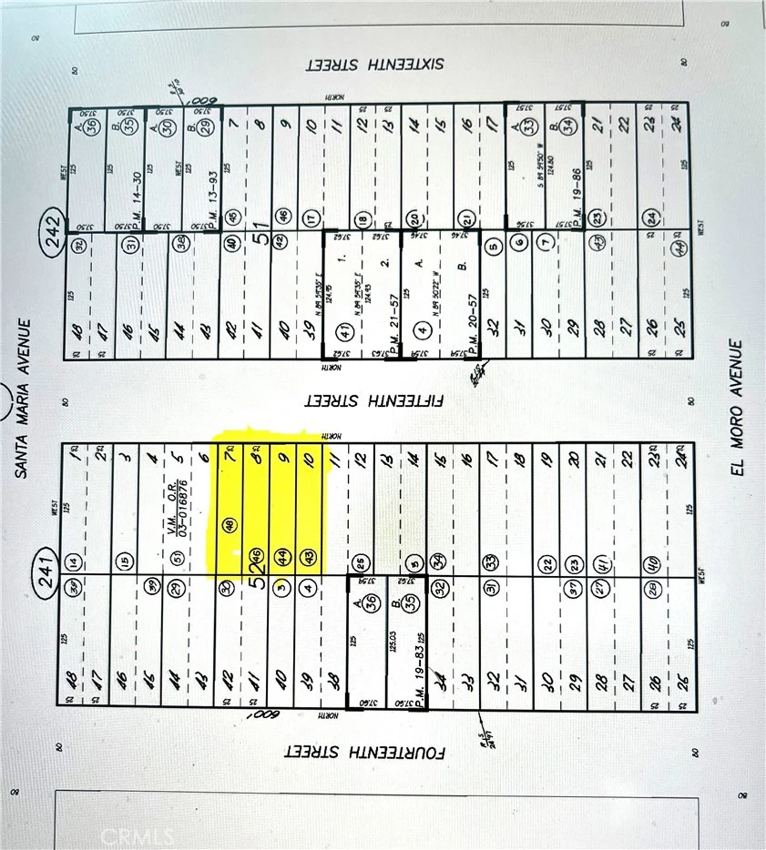
This is an opportunity to purchase a 12,500 sq. ft. unimproved parcel in the bayside community of Los Osos. This is a bulk sale consisting of four adjoining 25’ X 125’ lots to be sold together, equaling 100’ of street frontage. With distant views of the bay, sand dunes, and surrounding hills from street level, it is sure to be a terrific homesite when building is permitted. You’ll be a part of a wonderful community offering a coastal lifestyle along with all the amenities this area has to offer. One of the lots is #211 on the Los Osos Waitlist for Building Permits and lot size says 12,500 sq ft. Check with SLO County Dept of Planning & Building to investigate the potential of building on vacant lots in Los Osos. You’ll find some great information at https://www.slocounty.ca.gov/departments/planning-building/grid-items/communities-villages/los-osos
Lot Size
12,500 sqft
Days on Market
180
HOA Fee
N/A
MLS #
SC25088934
Biking, Golf, Hiking, Horse Trails, Park
$0
| Rating | School Name | ||
|---|---|---|---|
| No school data available for this area. | |||
Balanced market
Avg. time on market
This is a Balanced Market. Homes are selling at a moderate pace.
Flood Risk
Minimal — not in a FEMA flood zone
Wildfire Risk
Moderate — near wildland-urban interface
Heat Risk
Low — moderate summer temperatures
Earthquake Risk
Southern California seismic zone
Based on price, location, and features
Topfind Realty, DRE # 02240815, is a licensed real estate broker in California. Topfind Realty pledges to support the Fair Housing Act and adhere to Equal Housing Opportunity laws.
Copyright © 2026 Topfind Realty. All Rights Reserved.