




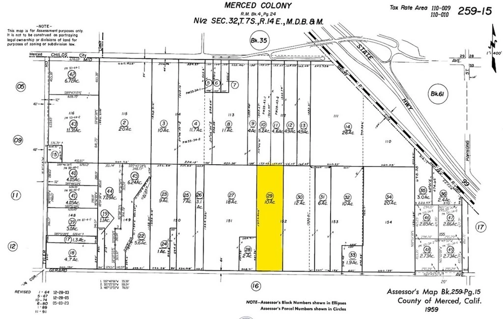
1192 E Gerard Avenue, Merced, CA 95341
Here is a 9.97 acre almond ranch with industrial development potential for sale! The nonpareil and carmel almonds were planted in 2006 and the ranch is situated in southeast Merced. This parcel is close to city limits and Hwy 99/UC Merced Campus Expressway, an area anticipated for significant growth and development. The city sewer lines are accessible at Gerard Ave, with future City plans to extend additional utilities to Mission Ave to support new developments. The vicinity is experiencing robust expansion near Mission Ave and retail growth at the new Gateway Marketplace by Hwy 99. This land is zoned M-2 for heavy industrial/manufacturing uses and align with the City of Merced's General Plan for industrial development. The irrigation is currently via a double line drip irrigation system and the ranch is within the Merced Irrigation District for access to Class I district water. However, their current irrigation comes from a well situated across the road on the owner's separate ranch. The seller would be open to a well sharing agreement to continue existing irrigation. Make this ranch your homesite or plan for future development! The property is within the Merced Irrigation District-Urban Ground Water Sustainability Agency (MIUGSA). For more information on SGMA, go to www.sgma.water.ca.gov/portal/. The ownership is also open to selling all lots together.
Lot Size
434,293.2 sqft
Days on Market
438
HOA Fee
N/A
MLS #
MC24179436
Lot Features
Agricultural, Level, Orchards, Rectangular Lot
Water Source
See Remarks, Shared Well
Rural
$0
| Rating | School Name | ||
|---|---|---|---|
| No school data available for this area. | |||
Balanced market
Avg. time on market
This is a Balanced Market. Homes are selling at a moderate pace.
Based on price, location, and features
Topfind Realty, DRE # 02240815, is a licensed real estate broker in California. Topfind Realty pledges to support the Fair Housing Act and adhere to Equal Housing Opportunity laws.
Copyright © 2026 Topfind Realty. All Rights Reserved.