




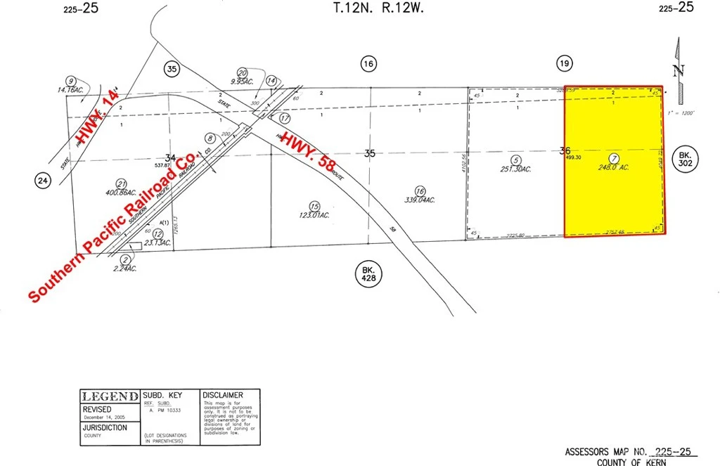
248 Ac. Rosewood Blvd. & 58 Freeway, Mojave, CA 93501
The listing price is for 40% share of 248+/- Acres of Vacant Industrial Land Zoned M-3 (Heavy Industrial) located Northeast of State Hwy. 58 and Hwy. 14 and Northwest of Hyundai Motor Group California Proving Ground, Mojave Air and Spaceport is to the Southwest. It has 2750' Frontage on Rosewood Blvd. and 3932' frontage on 20th St., Snake Ave goes through the property. Hwy. 14 is less than 2 miles away which gives you easy access to Rosamond, Lancaster, and Palmdale. Ideal for Cannabis, solar farming, truck stop, etc... You may google the following GPS coordinates to locate the subject: 35.095181 -118.103267
Lot Size
10,802,880 sqft
Days on Market
855
HOA Fee
N/A
MLS #
SR23158281
Lot Features
Level, Pasture, Rectangular Lot
Water Source
Other
Rural
$0
| Rating | School Name | ||
|---|---|---|---|
| No school data available for this area. | |||
Balanced market
Avg. time on market
This is a Balanced Market. Homes are selling at a moderate pace.
Based on price, location, and features
Topfind Realty, DRE # 02240815, is a licensed real estate broker in California. Topfind Realty pledges to support the Fair Housing Act and adhere to Equal Housing Opportunity laws.
Copyright © 2026 Topfind Realty. All Rights Reserved.