
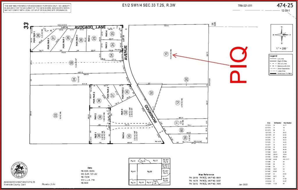
0 IRONWOOD AVE, Moreno Valley, CA 92555
±13.41 Acres Prime Land Opportunity – Ironwood Ave, Moreno Valley, CA. Excellent opportunity to acquire approximately 13.41 acres of land with direct access from Ironwood Ave, located in a rapidly growing area of Moreno Valley. This well-positioned parcel offers strong potential for residential development, subdivision, or long-term land banking. The property benefits from easy access and visibility along Ironwood Ave, a key east-west corridor. Surrounded by new residential construction and expanding communities, this location provides a strategic advantage for future development and value appreciation. Conveniently located near major transportation routes including the 60 Freeway and I-215, with nearby access to shopping centers, schools, and everyday amenities. Zoning is (Buyer to verify – residential/agricultural potential).
Lot Size
584,140 sqft
Days on Market
6
HOA Fee
N/A
MLS #
PW26062245
Lot Features
Eleven To Fifteen Units Acre
Urban
$0
| Rating | School Name | ||
|---|---|---|---|
| No school data available for this area. | |||
Balanced market
Avg. time on market
This is a Balanced Market. Homes are selling at a moderate pace.
Based on price, location, and features
Topfind Realty, DRE # 02240815, is a licensed real estate broker in California. Topfind Realty pledges to support the Fair Housing Act and adhere to Equal Housing Opportunity laws.
Copyright © 2026 Topfind Realty. All Rights Reserved.