

0 Vacant Land, Mountain Center, CA 92561
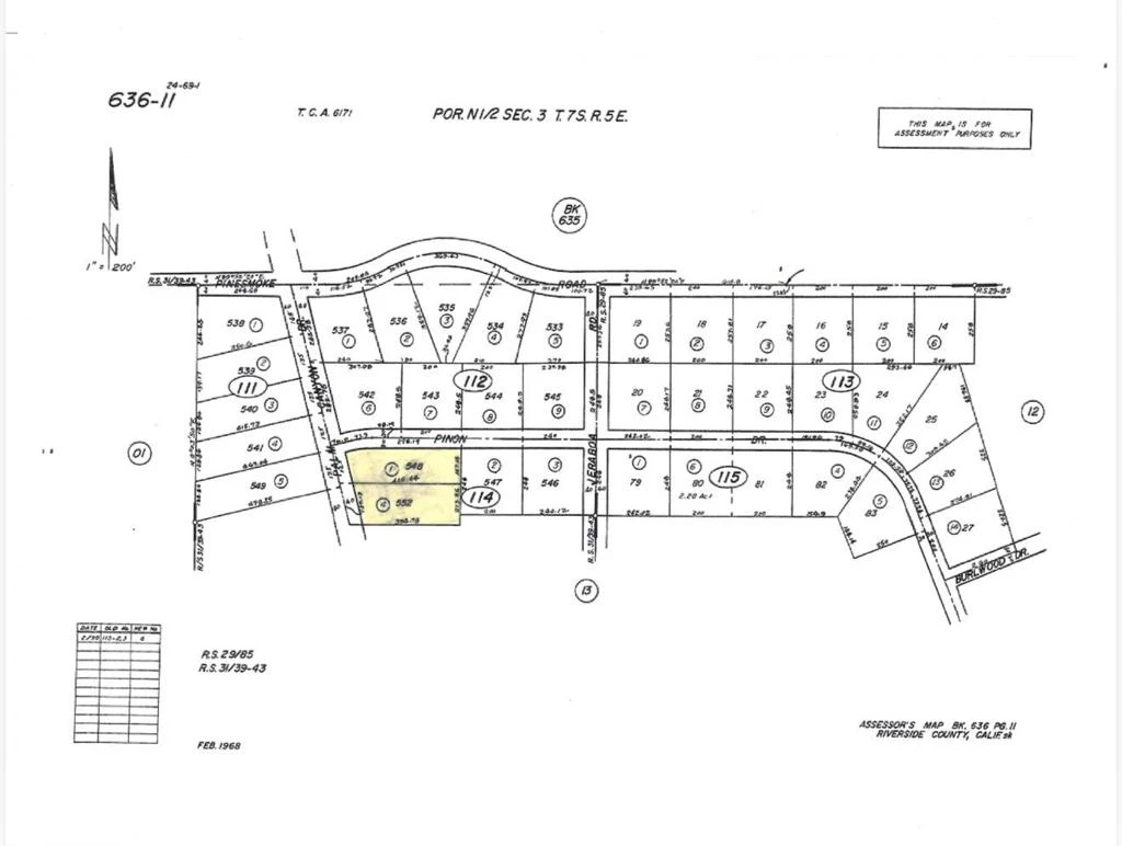
An Amazing opportunity to Own A huge vacant corner lot undeveloped in the beautiful area of Mountain Center known as Pinyon Pines Community. This Property includes 2 lots that combine each 1 acre or together equal 2.07 Acres.Seller would prefer to sell together but are both separate parcels. ~ APN: 636-114-001/ APN: 636-114-004. ~Which APN: 636-114-001 contains a water well on this lot. Buyer is advised to verify availability of all utilities, all facts, Boundaries & all investigations of zoning through the county of Riverside. This Large corner lots sits right in the middle of the community ready to build your dream home,Private weekend retreat or Ranch Style Investment. So much possibilities to enjoy everyday with those amazing views surrounded by the Santa Rosa & San Jacinto Mountains.If you're looking for cooler weather & a place to enjoy all year around seasons.Wait no more, This is the place to bring life to your creatively or a tranquil getaway with mother nature. Located just minutes to fine dining and shopping on El Paseo Palm Desert Or take a quick drive up to Idyllwild or some wine tasting in Temecula all within a few minutes of reach.
Bathrooms
0
Lot Size
43,560 sqft
Days on Market
80
HOA Fee
N/A
MLS #
219140404DA
Lot Features
Two To Five Units Acre, Corner Lot, Level
Sewer
Unknown
Water Source
Private, Well
$0
| Rating | School Name | ||
|---|---|---|---|
| No school data available for this area. | |||
Balanced market
Avg. time on market
This is a Balanced Market. Homes are selling at a moderate pace.
Flood Risk
Minimal — not in a FEMA flood zone
Wildfire Risk
Moderate — near wildland-urban interface
Heat Risk
Low — moderate summer temperatures
Earthquake Risk
Southern California seismic zone
Based on price, location, and features
Topfind Realty, DRE # 02240815, is a licensed real estate broker in California. Topfind Realty pledges to support the Fair Housing Act and adhere to Equal Housing Opportunity laws.
Copyright © 2026 Topfind Realty. All Rights Reserved.