




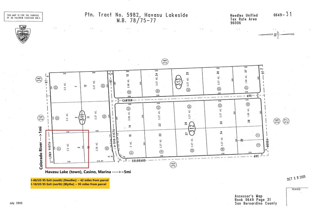
0 Loma Vista Street, Needles, CA 92363
Financing available -- Contact us by phone or email for more information. Tucked away near the peaceful Colorado River, this 2.5-acre lot offers the perfect mix of relaxation and convenience. Picture starting your day with gorgeous sunrises over the water and ending it with vibrant sunsets behind the western mountains. Just five miles from Havasu Lake Village, you’ll have easy access to a casino, marina, and general store. This isn’t just a piece of land—it’s a blank canvas for your dream vacation retreat or retirement escape, giving you both the space to unwind and a welcoming community nearby. Whether it’s the pull of the river, the friendly charm of the village, or the room to stretch out, this property offers a lifestyle that blends peaceful seclusion with lively connections.
Lot Size
108,900 sqft
Days on Market
680
HOA Fee
N/A
MLS #
OC24057592
Lot Features
Zero To One Unit Acre, Desert Back, Desert Front, Gentle Sloping, Lot Over40000 Sqft, Rectangular Lot
Water Source
See Remarks
Rural
$0
| Rating | School Name | ||
|---|---|---|---|
| No school data available for this area. | |||
Balanced market
Avg. time on market
This is a Balanced Market. Homes are selling at a moderate pace.
Flood Risk
Minimal — not in a FEMA flood zone
Wildfire Risk
Moderate — near wildland-urban interface
Heat Risk
Low — moderate summer temperatures
Earthquake Risk
Southern California seismic zone
Based on price, location, and features
Topfind Realty, DRE # 02240815, is a licensed real estate broker in California. Topfind Realty pledges to support the Fair Housing Act and adhere to Equal Housing Opportunity laws.
Copyright © 2026 Topfind Realty. All Rights Reserved.