
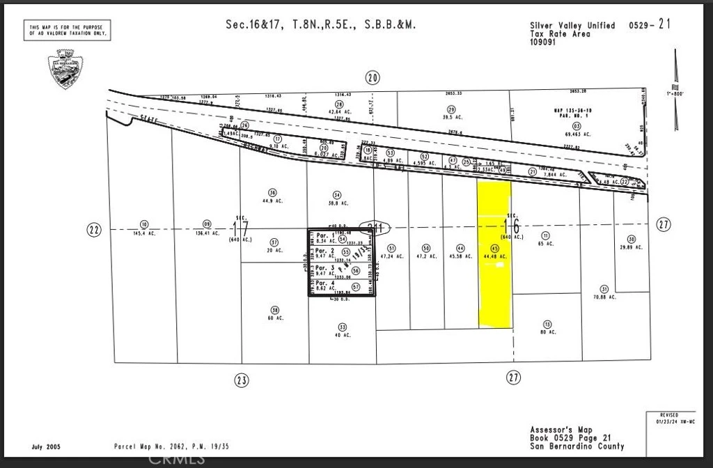
0 National Trails Parcel #0529-211-45 Highway, Newberry Springs, CA 92365
large parcel close to Interstate 40 and the Hector Rd. offramp. 666 feet frontage just south of Paved Hwy 66. A small strip of land is in between the north side of the lot and the Hwy 66 that appears to be part of the roadway easement. GPS Coordinates: 34.787515,-116.462526
Lot Size
1,937,549 sqft
Days on Market
0
HOA Fee
N/A
MLS #
HD25237941
Lot Features
Horse Property
Rural
$0
| Rating | School Name | ||
|---|---|---|---|
| No school data available for this area. | |||
Balanced market
Avg. time on market
This is a Balanced Market. Homes are selling at a moderate pace.
Flood Risk
Minimal — not in a FEMA flood zone
Wildfire Risk
Moderate — near wildland-urban interface
Heat Risk
Low — moderate summer temperatures
Earthquake Risk
Southern California seismic zone
Based on price, location, and features
Topfind Realty, DRE # 02240815, is a licensed real estate broker in California. Topfind Realty pledges to support the Fair Housing Act and adhere to Equal Housing Opportunity laws.
Copyright © 2026 Topfind Realty. All Rights Reserved.