

10 AC Greenview Road, Newberry Springs, CA 92365
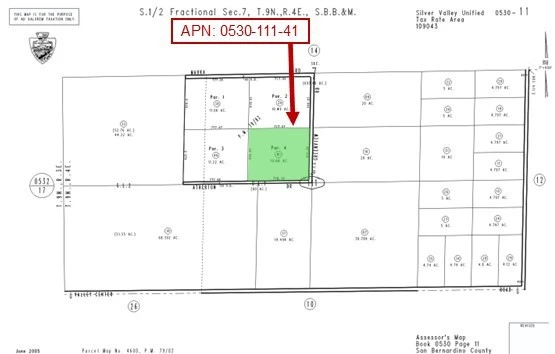
10.66 Acres (APN: 0530-111-41) GPS: 34.883588, -116.600005 This 10-acre property is located along Atherton Drive in the quiet desert community of Newberry Springs, San Bernardino County. This property is zoned both Rural Living- 5 Ac Minimum (RL-5) and Rural Commercial (CR), offering exceptional versatility. RL zoning supports residential uses such as single-family or manufactured homes, agriculture, animal keeping, agritourism, and the potential to subdivide into 5-acre parcels. CR zoning expands opportunities to include retail, lodging, repair services, recreation, and entertainment uses, with housing density of up to 2 units per acre in the desert region. Both zones allow renewable energy facilities, making this property attractive for a wide range of residential, commercial, and investment possibilities. Utilities in the area include overhead electricity approximately 1340 ft south along Valley Center Rd., with residents relying on private water wells, septic systems, and propane tanks for their utility needs. This property does not yet have an address, the address listed is for marketing purposes only. While the boundary lines on the map offer a glimpse, they are only approximate. A Buyer should verify boundaries, zoning and utilities, ensuring every aspect aligns with their vision for the property. ADJACENT PARCELS AVAILABLE. (APN: 0530-111-41) GPS: 34.883588, -116.600005
Lot Size
464,349.6 sqft
Days on Market
109
HOA Fee
N/A
MLS #
HD25232018
Lot Features
Desert Back, Desert Front, Horse Property, Lot Over40000 Sqft, Rectangular Lot
Rural
$0
| Rating | School Name | ||
|---|---|---|---|
| No school data available for this area. | |||
Balanced market
Avg. time on market
This is a Balanced Market. Homes are selling at a moderate pace.
Flood Risk
Minimal — not in a FEMA flood zone
Wildfire Risk
Moderate — near wildland-urban interface
Heat Risk
Low — moderate summer temperatures
Earthquake Risk
Southern California seismic zone
Based on price, location, and features
Topfind Realty, DRE # 02240815, is a licensed real estate broker in California. Topfind Realty pledges to support the Fair Housing Act and adhere to Equal Housing Opportunity laws.
Copyright © 2026 Topfind Realty. All Rights Reserved.