




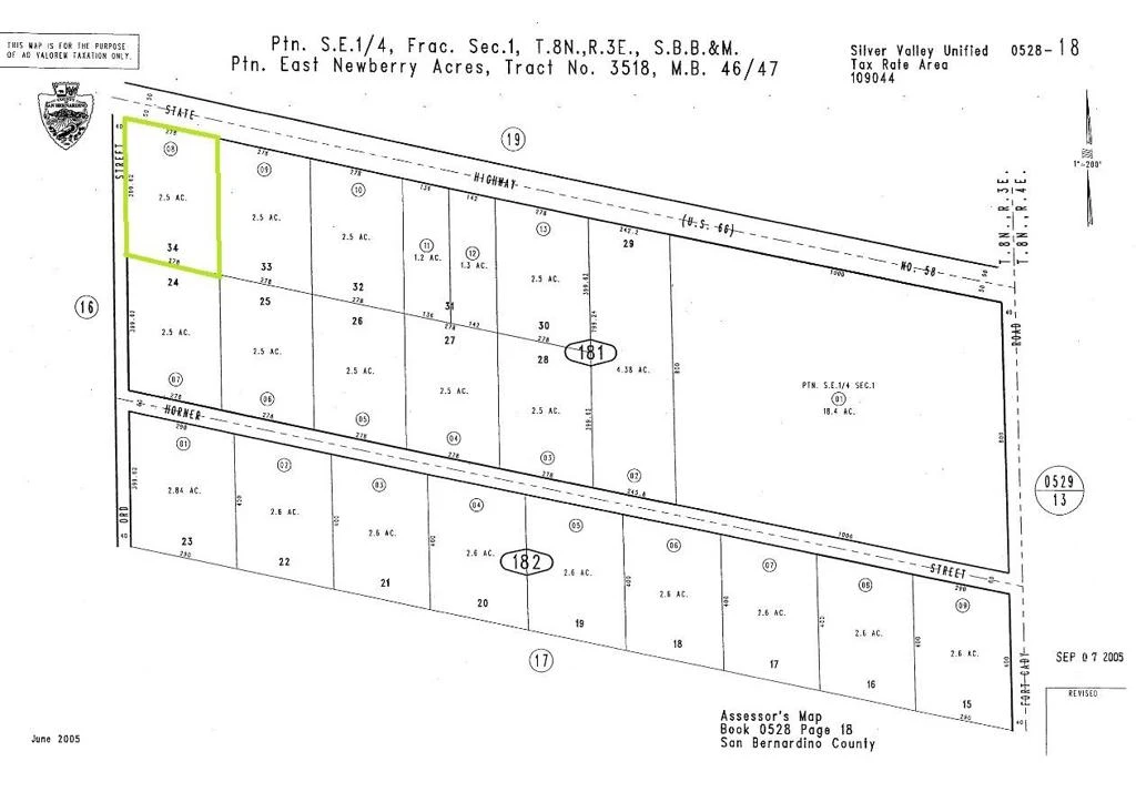
528181 08 National Trails Highway, Newberry Springs, CA 92365
***COME VIEW AND MAKE AN OFFER TODAY! 2 and 1/2 acre COMMERCIALLY ZONED CORNER PARCEL located on Historic Route 66 and Ord St in expanding Newberry Springs, CA. The site is less than one block from the Interstate-40 and Fort Cady exit that sees tens of thousands drive by everyday on their way east to to Arizona and beyond. The parcel is adjacent to utility lines and is on paved frontage, close to the Newberry Mountain RV park. The commercial zoning allows for many possibilities from RV/Boat/Semi storage, billboards, service stations, and camping to name a few. There aren't many affordable, commercially zoned parcels close to an interstate exit, making this site a must see opportunity before it's too late. ***
Lot Size
108,900 sqft
Days on Market
1696
HOA Fee
N/A
MLS #
536009
Lot Features
Horse Property, Level
$0
| Rating | School Name | ||
|---|---|---|---|
| No school data available for this area. | |||
Balanced market
Avg. time on market
This is a Balanced Market. Homes are selling at a moderate pace.
Flood Risk
Minimal — not in a FEMA flood zone
Wildfire Risk
Moderate — near wildland-urban interface
Heat Risk
Low — moderate summer temperatures
Earthquake Risk
Southern California seismic zone
Based on price, location, and features
Topfind Realty, DRE # 02240815, is a licensed real estate broker in California. Topfind Realty pledges to support the Fair Housing Act and adhere to Equal Housing Opportunity laws.
Copyright © 2026 Topfind Realty. All Rights Reserved.