




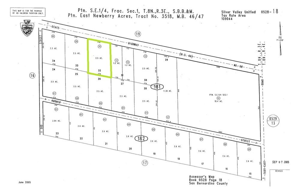
52818110 National Trails Highway, Newberry Springs, CA 92365
***COME VIEW AND MAKE AN OFFER TODAY! Two and a half acre, COMMERCIALLY ZONED parcel located on Historic Route 66 in expanding Newberry Springs, CA. The site is less than one block from the Interstate-40 and Fort Cady Rd exit that sees thousands drive by everyday on their way east to Arizona and beyond. The parcel is adjacent to utility lines, and on paved frontage. In addition, at one time a well was drilled on the property, which may be able to be salvaged and refurbished to working condition. The lot is right across from Newberry Mountain RV Park, and the commercial zoning allows for many possibilities from RV/Boat/Semi/Equipment storage, billboards, service stations, renewable energy generation,and camping to name a few. There aren't many affordable, commercially zoned parcels close to an interstate exit, making this site a must see opportunity before it's too late.***
Lot Size
108,900 sqft
Days on Market
0
HOA Fee
N/A
MLS #
HD26024543
Lot Features
Corners Marked, Horse Property, Rectangular Lot, Level
Water Source
Well
Rural, Suburban
$0
| Rating | School Name | ||
|---|---|---|---|
| No school data available for this area. | |||
Balanced market
Avg. time on market
This is a Balanced Market. Homes are selling at a moderate pace.
Flood Risk
Minimal — not in a FEMA flood zone
Wildfire Risk
Moderate — near wildland-urban interface
Heat Risk
Low — moderate summer temperatures
Earthquake Risk
Southern California seismic zone
Based on price, location, and features
Topfind Realty, DRE # 02240815, is a licensed real estate broker in California. Topfind Realty pledges to support the Fair Housing Act and adhere to Equal Housing Opportunity laws.
Copyright © 2026 Topfind Realty. All Rights Reserved.