


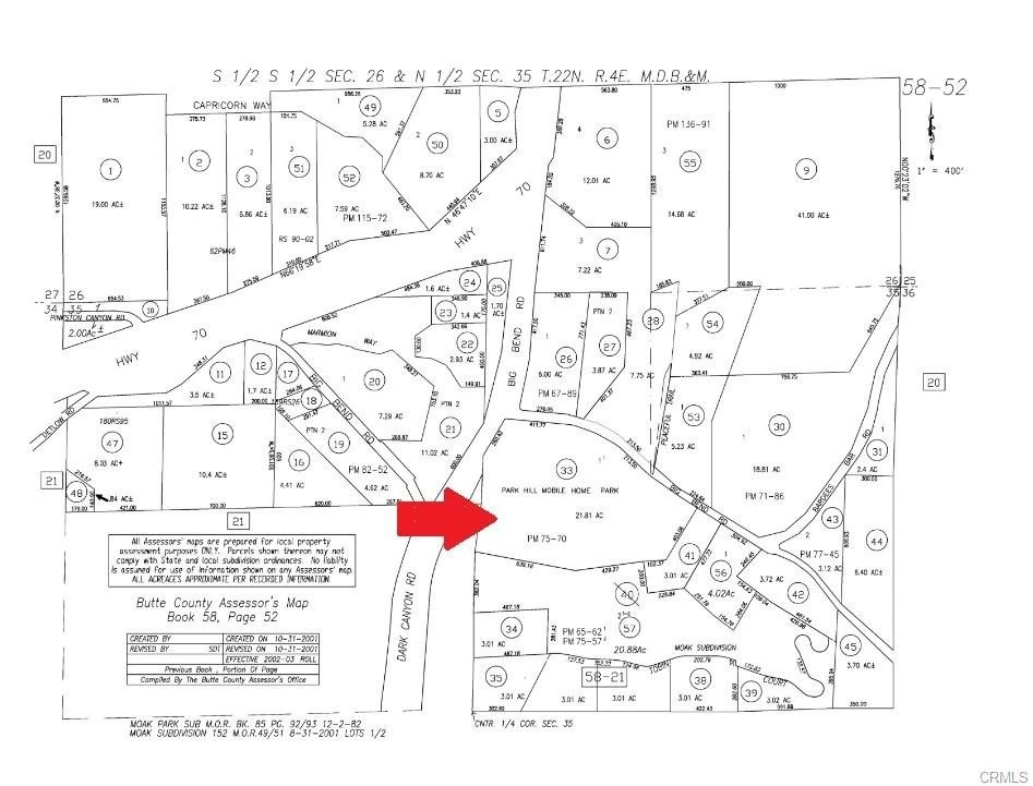
4320 Big Bend Road, Oroville, CA 95965
Here is your chance to buy the former Big Bend Mobile Home Park in Oroville. This park formally had 35 spaces and 5 stick built units. This park was destroyed by the campfire however still has portions of the infrastructure remaining including the roads, 3 wells and several septic tanks. This would be a perfect opportunity to rebuild the mobile home park or discover other uses for its 21+ acres. Per the county, the Property is zoned CC (Community Commercial) which allows for retail and service uses in proximity to residents in rural areas of the county. Standards in the CC zone are intended to increase rural residents' access to retail products and services and to reduce the need for residents of remote communities to drive long distances to meet basic needs. Permitted uses include general retail, personal services, professional offices, restaurants, hotels and motels, and other similar commercial uses. Dwelling units are permitted in the CC zone. Owner will partner/carry for the right buyer.
Lot Size
950,044 sqft
Days on Market
0
HOA Fee
N/A
MLS #
PA26058468
Lot Features
Gentle Sloping
Water Source
Well
Hiking, Mountainous, Rural
$0
| Rating | School Name | ||
|---|---|---|---|
| No school data available for this area. | |||
Balanced market
Avg. time on market
This is a Balanced Market. Homes are selling at a moderate pace.
Flood Risk
Minimal — not in a FEMA flood zone
Wildfire Risk
Moderate — near wildland-urban interface
Heat Risk
Low — moderate summer temperatures
Earthquake Risk
Southern California seismic zone
Based on price, location, and features
Topfind Realty, DRE # 02240815, is a licensed real estate broker in California. Topfind Realty pledges to support the Fair Housing Act and adhere to Equal Housing Opportunity laws.
Copyright © 2026 Topfind Realty. All Rights Reserved.