




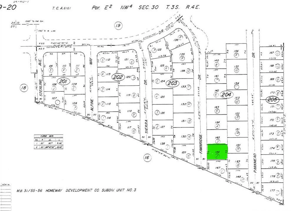
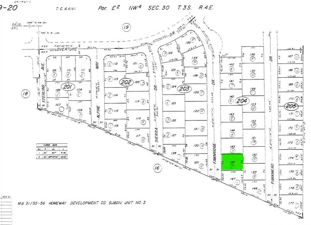
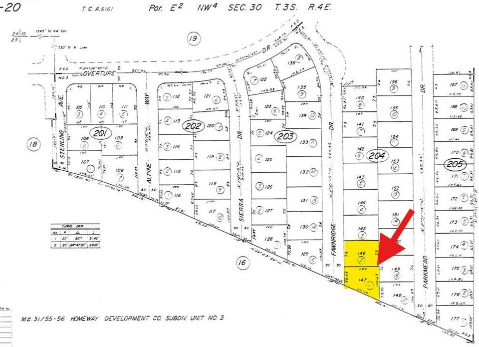
0 Fawnridge Drive, Palm Springs, CA 92262
Beautiful Buildable Lot in Palm Springs – Prime Cul-de-Sac Location. Fantastic opportunity to build your dream home in Palm Springs! This 7,405 sqft lot sits on a quiet cul-de-sac, offering privacy, mountain views and quick access to all the best the city has to offer. Zoned SFR with public utilities available, this parcel is ready for development and comes with valuable reports already completed—saving you time and money. Even better — the adjacent lot is also available, and sellers are offering a significant discount if both parcels are purchased together. Perfect for a larger custom compound, investment, or future development. Included with the lot: Structural Calculations Geotechnical Engineering Report (includes pool + ADU readiness) Building Energy Analysis Report Buyer and buyer’s agent to verify all zoning, requirements, and available utilities. Don’t miss this rare Palm Springs opportunity to build with confidence from day one. ADJACENT LOT MLS#CV25268653
Lot Size
7,405 sqft
Days on Market
106
HOA Fee
N/A
MLS #
CV25268461
Lot Features
Cul De Sac
Water Source
Public
Biking, Foothills, Hiking
$0
| Rating | School Name | ||
|---|---|---|---|
| No school data available for this area. | |||
Balanced market
Avg. time on market
This is a Balanced Market. Homes are selling at a moderate pace.
Flood Risk
Minimal — not in a FEMA flood zone
Wildfire Risk
Moderate — near wildland-urban interface
Heat Risk
Low — moderate summer temperatures
Earthquake Risk
Southern California seismic zone
Based on price, location, and features
Topfind Realty, DRE # 02240815, is a licensed real estate broker in California. Topfind Realty pledges to support the Fair Housing Act and adhere to Equal Housing Opportunity laws.
Copyright © 2026 Topfind Realty. All Rights Reserved.