




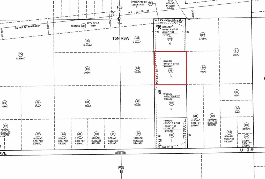
0 250th St E/North Of Ave U, Palmdale, CA 93591
Huge land parcel for a great price! Just under 10 acres of land in the Llano area! This parcel is not far from the Pearblossom Hwy/Palmdale Rd junction, which makes this a nice central location between Palmdale and Victorville. It's also close to Ave U, which is a major street that helps to reach Pearblossom Hwy. This parcel is very close to the Grey Butte Airport, multiple farms, and multiple wildlife preservations. Per the county parcel map (attached to listing), the west side of this parcel is designated for a future street, which is believed to be 250th St E. This would mean that easements won't be necessary to access the land. This property is a great location for someone looking for a large land parcel in LA County close to Pearblossom Hwy, while also being secluded and off the grid. This may be a great location to camp, go off-roading, install a mobile home, build a house, or start a small farm. Great long-term investment, as well. Don't miss out!
Lot Size
426,719 sqft
Days on Market
0
HOA Fee
N/A
MLS #
SR26035445
Lot Features
Horse Property, Lot Over40000 Sqft
Rural, Suburban
$0
| Rating | School Name | ||
|---|---|---|---|
| No school data available for this area. | |||
Balanced market
Avg. time on market
This is a Balanced Market. Homes are selling at a moderate pace.
Flood Risk
Minimal — not in a FEMA flood zone
Wildfire Risk
Moderate — near wildland-urban interface
Heat Risk
Low — moderate summer temperatures
Earthquake Risk
Southern California seismic zone
Based on price, location, and features
Topfind Realty, DRE # 02240815, is a licensed real estate broker in California. Topfind Realty pledges to support the Fair Housing Act and adhere to Equal Housing Opportunity laws.
Copyright © 2026 Topfind Realty. All Rights Reserved.