
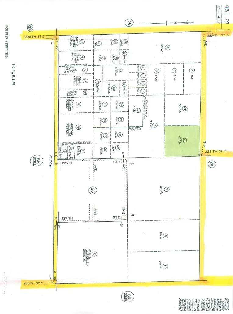
0 AVE N8 225 Street, Palmdale, CA 93591
This Are you dreaming of owning your piece of California's beauty? Look no further! This lot offers a serene escape while still being within easy reach of city amenities of Palmdale. With a generous parcel size of 10.33 acres, there's ample space to build your dream home or ranch, create a peaceful retreat, or invest in your future. Whether you're seeking a weekend getaway or year-round living, this parcel provides endless possibilities.
Lot Size
449,913 sqft
Days on Market
0
HOA Fee
N/A
MLS #
SR25119884
Lot Features
Eleven To Fifteen Units Acre
Horse Trails, Hunting, Mountainous, Rural
$0
| Rating | School Name | ||
|---|---|---|---|
| No school data available for this area. | |||
Balanced market
Avg. time on market
This is a Balanced Market. Homes are selling at a moderate pace.
Flood Risk
Minimal — not in a FEMA flood zone
Wildfire Risk
Moderate — near wildland-urban interface
Heat Risk
Low — moderate summer temperatures
Earthquake Risk
Southern California seismic zone
Based on price, location, and features
Topfind Realty, DRE # 02240815, is a licensed real estate broker in California. Topfind Realty pledges to support the Fair Housing Act and adhere to Equal Housing Opportunity laws.
Copyright © 2026 Topfind Realty. All Rights Reserved.