




0 E Avenue Q13, Palmdale, CA 93550
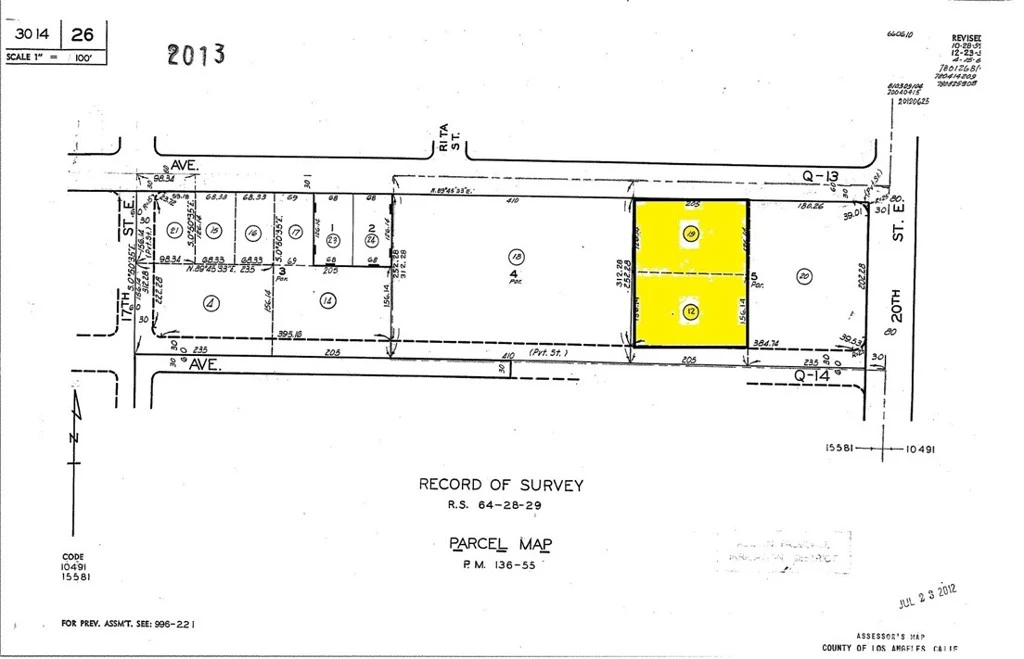
CITY OF PALMDALE - Includes two parcels: APN 3014-026-012 & 019. Property spans from Avenue Q13 to Avenue Q14. Flat, Buildable. Utilities in the street. Infill lots within the neighborhood. Across from Palmdale High School. Utilities in the street. According to Palmdale Zoning Maps zoned RN4 - Multi family residential uses.
Lot Size
57,867.4 sqft
Days on Market
0
HOA Fee
N/A
MLS #
SR25261923
Lot Features
Lot Over40000 Sqft, Near Park, Near Public Transit, Rectangular Lot, Street Level, Value In Land, Level
Suburban, Park
$0
| Rating | School Name | ||
|---|---|---|---|
| No school data available for this area. | |||
Balanced market
Avg. time on market
This is a Balanced Market. Homes are selling at a moderate pace.
Flood Risk
Minimal — not in a FEMA flood zone
Wildfire Risk
Moderate — near wildland-urban interface
Heat Risk
Low — moderate summer temperatures
Earthquake Risk
Southern California seismic zone
Based on price, location, and features
Topfind Realty, DRE # 02240815, is a licensed real estate broker in California. Topfind Realty pledges to support the Fair Housing Act and adhere to Equal Housing Opportunity laws.
Copyright © 2026 Topfind Realty. All Rights Reserved.